![]() |
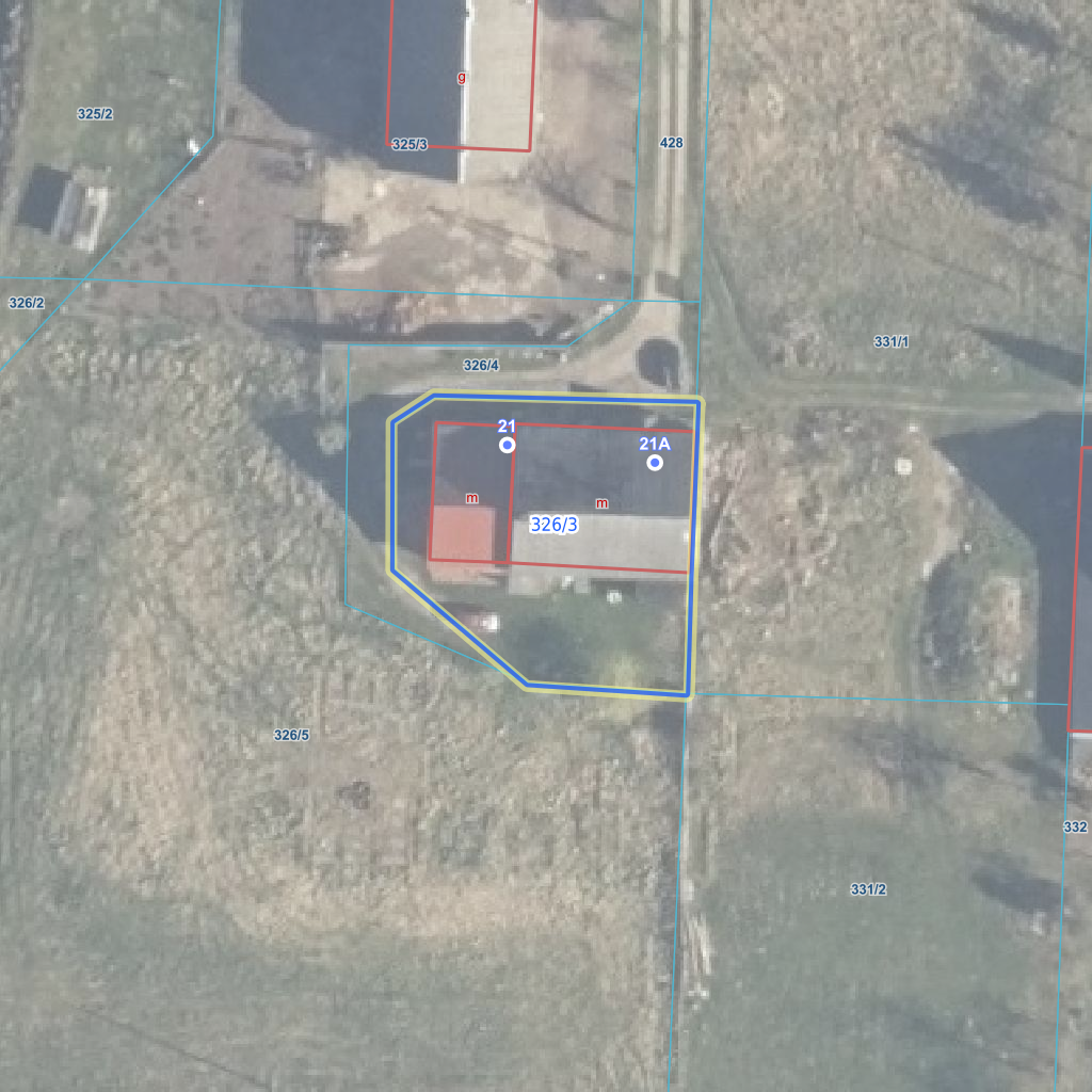
Raport o działce ewidencyjnej321306_2.0023.326/3(Informacje podstawowe - Pełny raport → dzialka.online) |
![]() |
|---|
| Numer działki | 326/3 |
|---|---|
| ID działki | 321306_2.0023.326/3 widok w portalu e-mapa |
| Obręb | Żukowo |
| Położenie | województwo zachodniopomorskie, powiat sławieński, gmina Sławno |
| Adres | Żukowo 21 (76-100) |
| Powierzchnia geometryczna i obwód | 601 m2 (0.0601 ha), 96 m |
| Powierzchnia zabudowy | 284 m2 (47.3%) |
| Współrzędne i wysokość środka | X: 715821, Y: 356534, H: 49 m (PL-1992; PL-EVRF2007-NH) |
| Grupa rejestrowa (własność) | 7 - osoby fizyczne |
![]() | |
| Najbliższe otoczenie działki | |
|---|---|
![]() |
|
| Wykaz działek sąsiednich - pokaż wszystkie działki w portalu e-mapa | |
| Lp. | Działki sąsiednie | E-mapa | Raport |
|---|---|---|---|
| 1 | 321306_2.0023.326/4 | pokaż działkę | zamów raport |
| 2 | 321306_2.0023.326/5 | pokaż działkę | zamów raport |
| 3 | 321306_2.0023.331/1 | pokaż działkę | zamów raport |
| 4 | 321306_2.0023.331/2 | pokaż działkę | zamów raport |
| Kształt, wymiary działki i współrzędne punktów granicznych | |
|---|---|
![]() |
|
| Współrzędne punktów geograficzne oraz XY w układzie PL-1992 (EPSG:2180) | |
| Lp. | Długość | Szerokość | X (PL-1992) | Y (PL-1992) | Długość boku |
|---|---|---|---|---|---|
| 1 | 16.795532 | 54.286487 | 715 832.91 | 356 546.45 | |
| 2 | 16.795176 | 54.286485 | 715 833.48 | 356 523.24 | 23.20 |
| 3 | 16.795122 | 54.286464 | 715 831.19 | 356 519.71 | 4.20 |
| 4 | 16.795128 | 54.286347 | 715 818.26 | 356 519.69 | 12.90 |
| 5 | 16.795315 | 54.286260 | 715 808.19 | 356 531.51 | 15.50 |
| 6 | 16.795530 | 54.286256 | 715 807.26 | 356 545.51 | 14.00 |
| 7 | 16.795530 | 54.286348 | 715 817.51 | 356 545.82 | 10.20 |
| 8 | 16.795532 | 54.286467 | 715 830.68 | 356 546.37 | 13.20 |
| 9 | 16.795532 | 54.286487 | 715 832.91 | 356 546.45 | 2.20 |
| Zobacz wszystkie informacje | |||
|---|---|---|---|
| |||