![]() |
Raport o działce ewidencyjnej321306_2.0017.170(Informacje podstawowe - Pełny raport → dzialka.online) |
![]() |
|---|
| Numer działki | 170 |
|---|---|
| ID działki | 321306_2.0017.170 widok w portalu e-mapa |
| Obręb | Tychowo |
| Położenie | województwo zachodniopomorskie, powiat sławieński, gmina Sławno |
| Adres | Tychowo 24 (76-100) |
| Powierzchnia geometryczna i obwód | 583 m2 (0.0583 ha), 97 m |
| Powierzchnia zabudowy | 95 m2 (16.3%) |
| Współrzędne i wysokość środka | X: 723086, Y: 355969, H: 41 m (PL-1992; PL-EVRF2007-NH) |
| Grupa rejestrowa (własność) | 7 - osoby fizyczne |
![]() | |
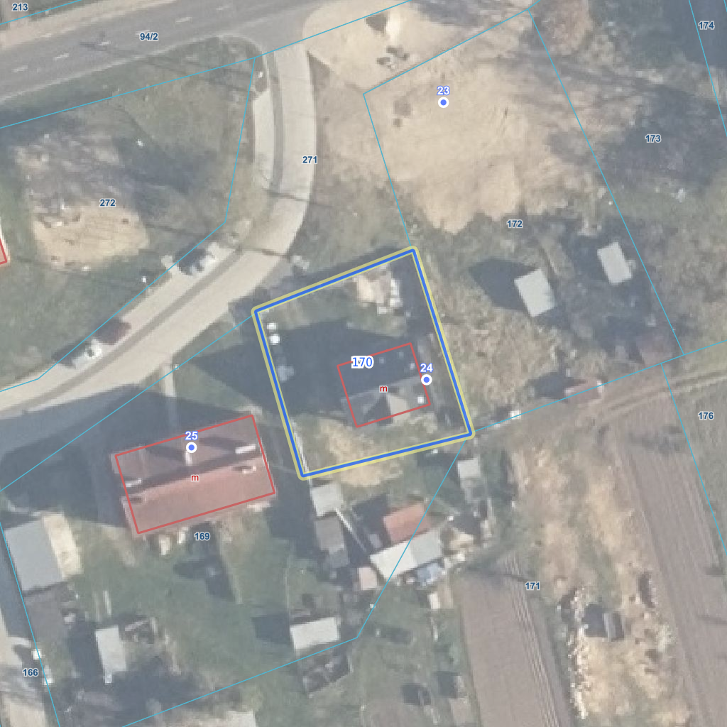
| Najbliższe otoczenie działki | |
|---|---|
![]() |
|
| Wykaz działek sąsiednich - pokaż wszystkie działki w portalu e-mapa | |
| Lp. | Działki sąsiednie | E-mapa | Raport |
|---|---|---|---|
| 1 | 321306_2.0017.169 | pokaż działkę | zamów raport |
| 2 | 321306_2.0017.171 | pokaż działkę | zamów raport |
| 3 | 321306_2.0017.172 | pokaż działkę | zamów raport |
| 4 | 321306_2.0017.271 | pokaż działkę | zamów raport |
| Kształt, wymiary działki i współrzędne punktów granicznych | |
|---|---|
![]() |
|
| Współrzędne punktów geograficzne oraz XY w układzie PL-1992 (EPSG:2180) | |
| Lp. | Długość | Szerokość | X (PL-1992) | Y (PL-1992) | Długość boku |
|---|---|---|---|---|---|
| 1 | 16.783393 | 54.351402 | 723 076.67 | 355 983.60 | |
| 2 | 16.783260 | 54.351626 | 723 101.85 | 355 975.73 | 26.40 |
| 3 | 16.782932 | 54.351545 | 723 093.48 | 355 954.14 | 23.20 |
| 4 | 16.783042 | 54.351344 | 723 070.94 | 355 960.58 | 23.40 |
| 5 | 16.783393 | 54.351402 | 723 076.67 | 355 983.60 | 23.70 |
| Zobacz wszystkie informacje | |||
|---|---|---|---|
| |||