![]() |
Raport o działce ewidencyjnej320504_4.0003.383/1(Informacje podstawowe - Pełny raport → dzialka.online) |
![]() |
|---|
| Numer działki | 383/1 |
|---|---|
| ID działki | 320504_4.0003.383/1 widok w portalu e-mapa |
| Obręb | Płoty -3 |
| Położenie | województwo zachodniopomorskie, powiat gryficki, gmina Płoty |
| Pole ewidencyjne | 0.0044 ha |
| Powierzchnia geometryczna i obwód | 44 m2 (0.0044 ha), 26 m |
| Powierzchnia zabudowy | 15 m2 (34.1%) |
| Współrzędne i wysokość środka | X: 666634, Y: 254316, H: 30 m (PL-1992; PL-EVRF2007-NH) |
| Grupa rejestrowa (własność) | 7 - osoby fizyczne |
| Klasoużytki | Bi - inne zabudowane |
![]() | |
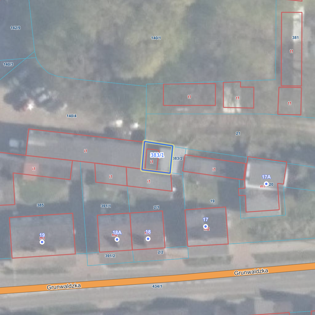
| Najbliższe otoczenie działki | |
|---|---|
![]() |
|
| Wykaz działek sąsiednich - pokaż wszystkie działki w portalu e-mapa | |
| Lp. | Działki sąsiednie | E-mapa | Raport |
|---|---|---|---|
| 1 | 320504_4.0003.140/4 | pokaż działkę | zamów raport |
| 2 | 320504_4.0003.2/1 | pokaż działkę | zamów raport |
| 3 | 320504_4.0003.21 | pokaż działkę | zamów raport |
| 4 | 320504_4.0003.383/2 | pokaż działkę | zamów raport |
| Kształt, wymiary działki i współrzędne punktów granicznych | |
|---|---|
![]() |
|
| Współrzędne punktów geograficzne oraz XY w układzie PL-1992 (EPSG:2180) | |
| Lp. | Długość | Szerokość | X (PL-1992) | Y (PL-1992) | Długość boku |
|---|---|---|---|---|---|
| 1 | 15.267378 | 53.806233 | 666 636.28 | 254 319.84 | |
| 2 | 15.267277 | 53.806239 | 666 637.33 | 254 313.22 | 6.70 |
| 3 | 15.267273 | 53.806179 | 666 630.67 | 254 312.62 | 6.70 |
| 4 | 15.267374 | 53.806175 | 666 629.85 | 254 319.22 | 6.70 |
| 5 | 15.267378 | 53.806233 | 666 636.28 | 254 319.84 | 6.50 |
| Zobacz wszystkie informacje | |||
|---|---|---|---|
| |||