![]() |
Raport o działce ewidencyjnej301401_2.0306.419(Informacje podstawowe - Pełny raport → dzialka.online) |
![]() |
|---|
| Numer działki | 419 |
|---|---|
| ID działki | 301401_2.0306.419 widok w portalu e-mapa |
| Obręb | CHRZYPSKO WIELKIE |
| Położenie | województwo wielkopolskie, powiat międzychodzki, gmina Chrzypsko Wielkie |
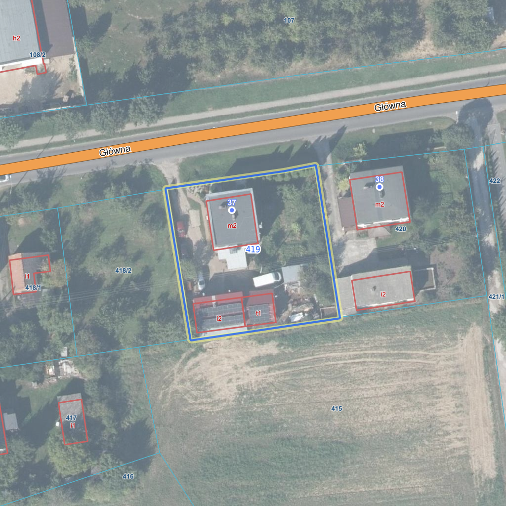
| Adres | ul. Główna 37, Chrzypsko Wielkie (64-412) |
| Pole ewidencyjne | 0.0999 ha |
| Powierzchnia geometryczna i obwód | 1008 m2 (0.1008 ha), 127 m |
| Powierzchnia zabudowy | 203 m2 (20.1%) |
| Współrzędne i wysokość środka | X: 532684, Y: 312370, H: 54 m (PL-1992; PL-EVRF2007-NH) |
| Grupa rejestrowa (własność) | 7 - osoby fizyczne |
| Klasoużytki | B - mieszkaniowe |
![]() | |
| Najbliższe otoczenie działki | |
|---|---|
![]() |
|
| Wykaz działek sąsiednich - pokaż wszystkie działki w portalu e-mapa | |
| Lp. | Działki sąsiednie | E-mapa | Raport |
|---|---|---|---|
| 1 | 301401_2.0306.104/13 | pokaż działkę | zamów raport |
| 2 | 301401_2.0306.415 | pokaż działkę | zamów raport |
| 3 | 301401_2.0306.418/2 | pokaż działkę | zamów raport |
| 4 | 301401_2.0306.420 | pokaż działkę | zamów raport |
| Kształt, wymiary działki i współrzędne punktów granicznych | |
|---|---|
![]() |
|
| Współrzędne punktów geograficzne oraz XY w układzie PL-1992 (EPSG:2180) | |
| Lp. | Długość | Szerokość | X (PL-1992) | Y (PL-1992) | Długość boku |
|---|---|---|---|---|---|
| 1 | 16.226575 | 52.627520 | 532 697.01 | 312 352.14 | |
| 2 | 16.226670 | 52.627238 | 532 665.43 | 312 357.38 | 32.00 |
| 3 | 16.226754 | 52.627248 | 532 666.28 | 312 363.12 | 5.80 |
| 4 | 16.227125 | 52.627290 | 532 670.04 | 312 388.41 | 25.60 |
| 5 | 16.227033 | 52.627574 | 532 701.87 | 312 383.38 | 32.20 |
| 6 | 16.226937 | 52.627561 | 532 700.59 | 312 376.82 | 6.70 |
| 7 | 16.226575 | 52.627520 | 532 697.01 | 312 352.14 | 24.90 |
| Zobacz wszystkie informacje | |||
|---|---|---|---|
| |||