![]() |
Raport o działce ewidencyjnej281501_1.0010.14/14(Informacje podstawowe - Pełny raport → dzialka.online) |
![]() |
|---|
| Numer działki | 14/14 |
|---|---|
| ID działki | 281501_1.0010.14/14 widok w portalu e-mapa |
| Obręb | OSTRÓDA |
| Położenie | województwo warmińsko-mazurskie, powiat ostródzki, gmina Ostróda |
| Powierzchnia geometryczna i obwód | 18 m2 (0.0018 ha), 19 m |
| Powierzchnia zabudowy | 18 m2 (100%) |
| Współrzędne i wysokość środka | X: 648306, Y: 564301, H: 117 m (PL-1992; PL-EVRF2007-NH) |
![]() | |
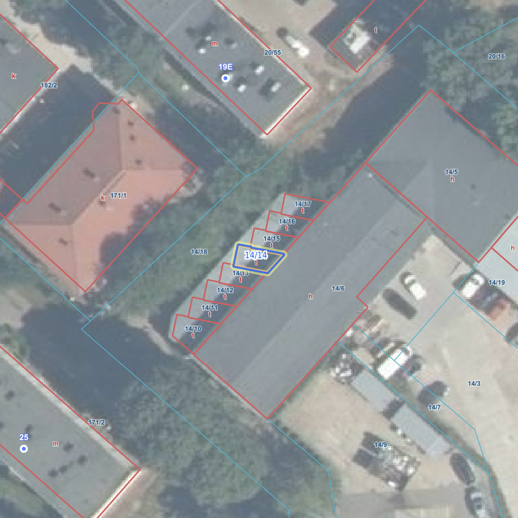
| Najbliższe otoczenie działki | |
|---|---|
![]() |
|
| Wykaz działek sąsiednich - pokaż wszystkie działki w portalu e-mapa | |
| Lp. | Działki sąsiednie | E-mapa | Raport |
|---|---|---|---|
| 1 | 281501_1.0010.14/13 | pokaż działkę | zamów raport |
| 2 | 281501_1.0010.14/15 | pokaż działkę | zamów raport |
| 3 | 281501_1.0010.14/18 | pokaż działkę | zamów raport |
| 4 | 281501_1.0010.14/6 | pokaż działkę | zamów raport |
| Kształt, wymiary działki i współrzędne punktów granicznych | |
|---|---|
![]() |
|
| Współrzędne punktów geograficzne oraz XY w układzie PL-1992 (EPSG:2180) | |
| Lp. | Długość | Szerokość | X (PL-1992) | Y (PL-1992) | Długość boku |
|---|---|---|---|---|---|
| 1 | 19.974195 | 53.695552 | 648 304.45 | 564 302.83 | |
| 2 | 19.974231 | 53.695575 | 648 307.04 | 564 305.16 | 3.50 |
| 3 | 19.974156 | 53.695584 | 648 307.99 | 564 300.24 | 5.00 |
| 4 | 19.974157 | 53.695585 | 648 308.11 | 564 300.26 | 0.10 |
| 5 | 19.974131 | 53.695588 | 648 308.43 | 564 298.54 | 1.70 |
| 6 | 19.974121 | 53.695562 | 648 305.50 | 564 297.93 | 3.00 |
| 7 | 19.974120 | 53.695561 | 648 305.38 | 564 297.90 | 0.10 |
| 8 | 19.974195 | 53.695552 | 648 304.45 | 564 302.83 | 5.00 |
| Zobacz wszystkie informacje | |||
|---|---|---|---|
| |||