![]() |
Raport o działce ewidencyjnej280304_5.0004.3112/6(Informacje podstawowe - Pełny raport → dzialka.online) |
![]() |
|---|
| Numer działki | 3112/6 |
|---|---|
| ID działki | 280304_5.0004.3112/6 widok w portalu e-mapa |
| Obręb | BRYŃSK |
| Położenie | województwo warmińsko-mazurskie, powiat działdowski, gmina Lidzbark |
| Powierzchnia geometryczna i obwód | 1052 m2 (0.1052 ha), 134 m |
| Współrzędne i wysokość środka | X: 592134, Y: 552041, H: 153 m (PL-1992; PL-EVRF2007-NH) |
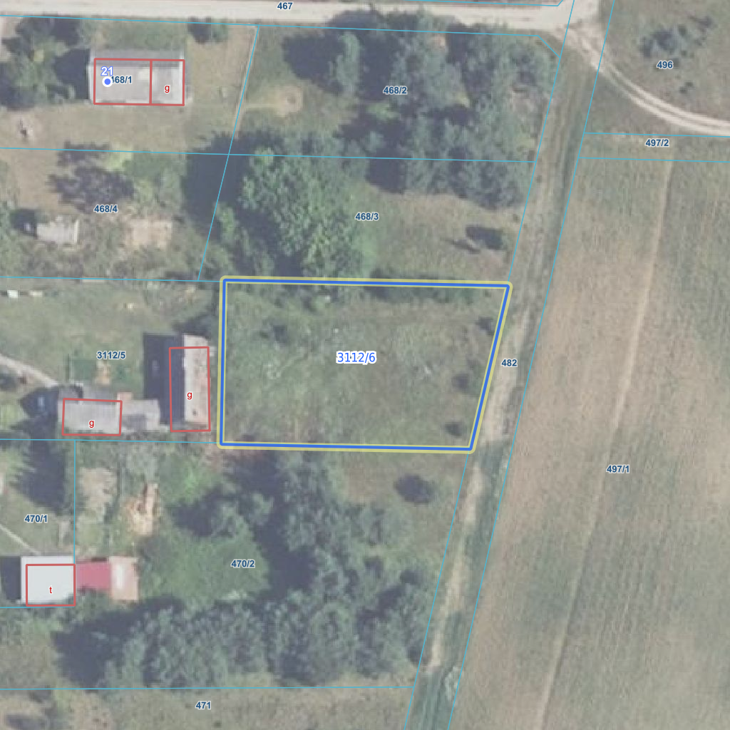
![]() | |
| Najbliższe otoczenie działki | |
|---|---|
![]() |
|
| Wykaz działek sąsiednich - pokaż wszystkie działki w portalu e-mapa | |
| Lp. | Działki sąsiednie | E-mapa | Raport |
|---|---|---|---|
| 1 | 280304_5.0004.3112/5 | pokaż działkę | zamów raport |
| 2 | 280304_5.0004.468/3 | pokaż działkę | zamów raport |
| 3 | 280304_5.0004.470/2 | pokaż działkę | zamów raport |
| 4 | 280304_5.0004.482 | pokaż działkę | zamów raport |
| Kształt, wymiary działki i współrzędne punktów granicznych | |
|---|---|
![]() |
|
| Współrzędne punktów geograficzne oraz XY w układzie PL-1992 (EPSG:2180) | |
| Lp. | Długość | Szerokość | X (PL-1992) | Y (PL-1992) | Długość boku |
|---|---|---|---|---|---|
| 1 | 19.779423 | 53.191795 | 592 121.18 | 552 059.21 | |
| 2 | 19.779515 | 53.192021 | 592 146.41 | 552 065.07 | 25.90 |
| 3 | 19.778854 | 53.192033 | 592 147.31 | 552 020.91 | 44.20 |
| 4 | 19.778842 | 53.191806 | 592 121.95 | 552 020.40 | 25.40 |
| 5 | 19.779423 | 53.191795 | 592 121.18 | 552 059.21 | 38.80 |
| Zobacz wszystkie informacje | |||
|---|---|---|---|
| |||