![]() |
Raport o działce ewidencyjnej240704_2.0002.285(Informacje podstawowe - Pełny raport → dzialka.online) |
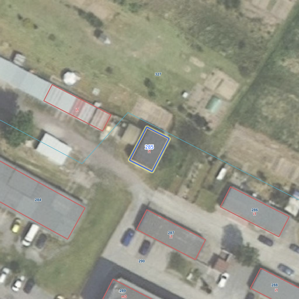
![]() |
|---|
| Numer działki | 285 |
|---|---|
| ID działki | 240704_2.0002.285 widok w portalu e-mapa |
| Obręb | HADRA |
| Położenie | województwo śląskie, powiat lubliniecki, gmina Herby |
| Pole ewidencyjne | 0.0065 ha |
| Powierzchnia geometryczna i obwód | 65 m2 (0.0065 ha), 33 m |
| Współrzędne i wysokość środka | X: 314698, Y: 488633, H: 268 m (PL-1992; PL-EVRF2007-NH) |
| Grupa rejestrowa (własność) | 7 - osoby fizyczne |
| Klasoużytki | B - mieszkaniowe |
![]() | |
| Najbliższe otoczenie działki | |
|---|---|
![]() |
|
| Wykaz działek sąsiednich - pokaż wszystkie działki w portalu e-mapa | |
| Lp. | Działki sąsiednie | E-mapa | Raport |
|---|---|---|---|
| 1 | 240704_2.0002.290 | pokaż działkę | zamów raport |
| Kształt, wymiary działki i współrzędne punktów granicznych | |
|---|---|
![]() |
|
| Współrzędne punktów geograficzne oraz XY w układzie PL-1992 (EPSG:2180) | |
| Lp. | Długość | Szerokość | X (PL-1992) | Y (PL-1992) | Długość boku |
|---|---|---|---|---|---|
| 1 | 18.838920 | 50.699133 | 314 695.04 | 488 627.55 | |
| 2 | 18.839004 | 50.699107 | 314 692.05 | 488 633.45 | 6.60 |
| 3 | 18.839067 | 50.699185 | 314 700.80 | 488 637.96 | 9.80 |
| 4 | 18.838985 | 50.699212 | 314 703.79 | 488 632.14 | 6.50 |
| 5 | 18.838920 | 50.699133 | 314 695.04 | 488 627.55 | 9.90 |
| Zobacz wszystkie informacje | |||
|---|---|---|---|
| |||