![]() |
Raport o działce ewidencyjnej240415_2.0009.970(Informacje podstawowe - Pełny raport → dzialka.online) |
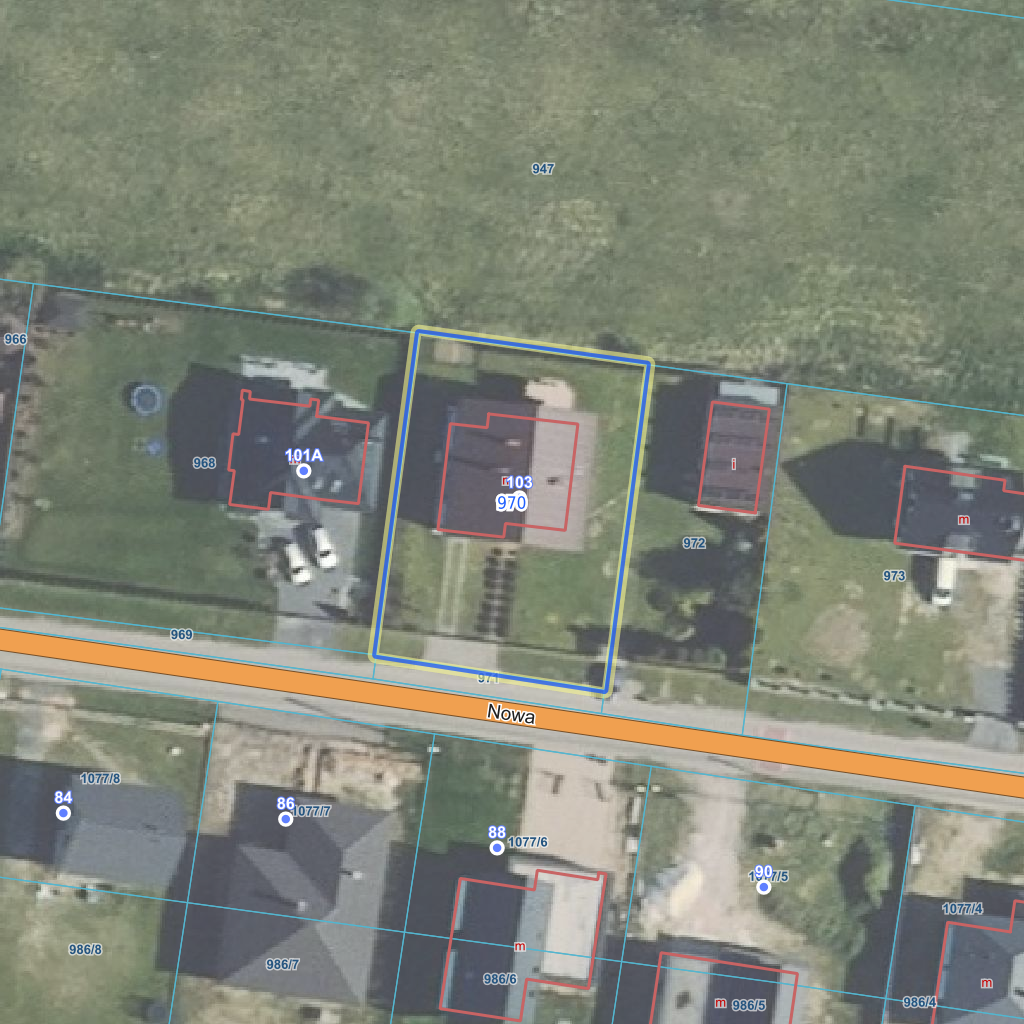
![]() |
|---|
| Numer działki | 970 |
|---|---|
| ID działki | 240415_2.0009.970 widok w portalu e-mapa |
| Obręb | Rędziny Okupniki |
| Położenie | województwo śląskie, powiat częstochowski, gmina Rędziny |
| Adres | ul. Nowa 103, Rędziny (42-242) |
| Powierzchnia geometryczna i obwód | 827 m2 (0.0827 ha), 117 m |
| Powierzchnia zabudowy | 154 m2 (18.6%) |
| Współrzędne i wysokość środka | X: 333069, Y: 517153, H: 271 m (PL-1992; PL-EVRF2007-NH) |
![]() | |
| Najbliższe otoczenie działki | |
|---|---|
![]() |
|
| Wykaz działek sąsiednich - pokaż wszystkie działki w portalu e-mapa | |
| Lp. | Działki sąsiednie | E-mapa | Raport |
|---|---|---|---|
| 1 | 240415_2.0009.947 | pokaż działkę | zamów raport |
| 2 | 240415_2.0009.968 | pokaż działkę | zamów raport |
| 3 | 240415_2.0009.969 | pokaż działkę | zamów raport |
| 4 | 240415_2.0009.971 | pokaż działkę | zamów raport |
| 5 | 240415_2.0009.972 | pokaż działkę | zamów raport |
| Kształt, wymiary działki i współrzędne punktów granicznych | |
|---|---|
![]() |
|
| Współrzędne punktów geograficzne oraz XY w układzie PL-1992 (EPSG:2180) | |
| Lp. | Długość | Szerokość | X (PL-1992) | Y (PL-1992) | Długość boku |
|---|---|---|---|---|---|
| 1 | 19.243950 | 50.864109 | 333 050.67 | 517 162.68 | |
| 2 | 19.244015 | 50.864415 | 333 084.79 | 517 167.13 | 34.40 |
| 3 | 19.243676 | 50.864446 | 333 088.09 | 517 143.23 | 24.10 |
| 4 | 19.243610 | 50.864142 | 333 054.34 | 517 138.75 | 34.00 |
| 5 | 19.243950 | 50.864109 | 333 050.67 | 517 162.68 | 24.20 |
| Zobacz wszystkie informacje | |||
|---|---|---|---|
| |||