![]() |
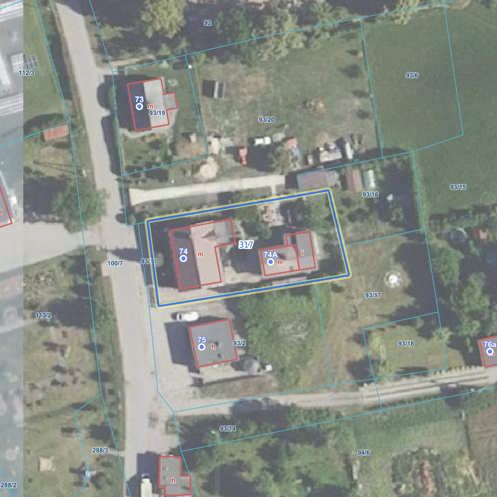
Raport o działce ewidencyjnej221404_5.0004.317(Informacje podstawowe - Pełny raport → dzialka.online) |
![]() |
|---|
| Numer działki | 317 |
|---|---|
| ID działki | 221404_5.0004.317 widok w portalu e-mapa |
| Obręb | Lignowy Szlacheckie |
| Położenie | województwo pomorskie, powiat tczewski, gmina Pelplin |
| Adres | Lignowy Szlacheckie 74 (83-130) |
| Powierzchnia geometryczna i obwód | 870 m2 (0.087 ha), 127 m |
| Powierzchnia zabudowy | 248 m2 (28.5%) |
| Współrzędne i wysokość środka | X: 671380, Y: 485682, H: 0 m (PL-1992; PL-EVRF2007-NH) |
| Grupa rejestrowa (własność) | 7 - osoby fizyczne |
![]() | |
| Najbliższe otoczenie działki | |
|---|---|
![]() |
|
| Wykaz działek sąsiednich - pokaż wszystkie działki w portalu e-mapa | |
| Lp. | Działki sąsiednie | E-mapa | Raport |
|---|---|---|---|
| 1 | 221404_5.0004.93/10 | pokaż działkę | zamów raport |
| 2 | 221404_5.0004.93/16 | pokaż działkę | zamów raport |
| 3 | 221404_5.0004.93/17 | pokaż działkę | zamów raport |
| 4 | 221404_5.0004.93/2 | pokaż działkę | zamów raport |
| 5 | 221404_5.0004.93/20 | pokaż działkę | zamów raport |
| Kształt, wymiary działki i współrzędne punktów granicznych | |
|---|---|
![]() |
|
| Współrzędne punktów geograficzne oraz XY w układzie PL-1992 (EPSG:2180) | |
| Lp. | Długość | Szerokość | X (PL-1992) | Y (PL-1992) | Długość boku |
|---|---|---|---|---|---|
| 1 | 18.782355 | 53.906730 | 671 373.70 | 485 705.87 | |
| 2 | 18.782330 | 53.906788 | 671 380.25 | 485 704.29 | 6.70 |
| 3 | 18.782282 | 53.906905 | 671 393.24 | 485 701.16 | 13.40 |
| 4 | 18.782190 | 53.906895 | 671 392.17 | 485 695.09 | 6.20 |
| 5 | 18.781641 | 53.906839 | 671 386.05 | 485 659.02 | 36.60 |
| 6 | 18.781680 | 53.906664 | 671 366.50 | 485 661.56 | 19.70 |
| 7 | 18.782237 | 53.906718 | 671 372.44 | 485 698.15 | 37.10 |
| 8 | 18.782355 | 53.906730 | 671 373.70 | 485 705.87 | 7.80 |
| Zobacz wszystkie informacje | |||
|---|---|---|---|
| |||