![]() |
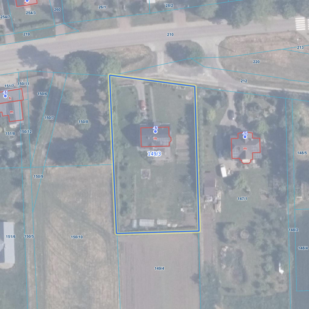
Raport o działce ewidencyjnej220903_2.0002.149/3(Informacje podstawowe - Pełny raport → dzialka.online) |
![]() |
|---|
| Numer działki | 149/3 |
|---|---|
| ID działki | 220903_2.0002.149/3 widok w portalu e-mapa |
| Obręb | Dąbrowa |
| Położenie | województwo pomorskie, powiat malborski, gmina Lichnowy |
| Adres | Dąbrowa 43 (82-224) |
| Powierzchnia geometryczna i obwód | 2627 m2 (0.2627 ha), 215 m |
| Powierzchnia zabudowy | 115 m2 (4.4%) |
| Współrzędne i wysokość środka | X: 694532, Y: 491548, H: 5 m (PL-1992; PL-EVRF2007-NH) |
| Grupa rejestrowa (własność) | 7 - osoby fizyczne |
![]() | |
| Najbliższe otoczenie działki | |
|---|---|
![]() |
|
| Wykaz działek sąsiednich - pokaż wszystkie działki w portalu e-mapa | |
| Lp. | Działki sąsiednie | E-mapa | Raport |
|---|---|---|---|
| 1 | 220903_2.0002.147/1 | pokaż działkę | zamów raport |
| 2 | 220903_2.0002.149/4 | pokaż działkę | zamów raport |
| 3 | 220903_2.0002.150/10 | pokaż działkę | zamów raport |
| 4 | 220903_2.0002.150/8 | pokaż działkę | zamów raport |
| 5 | 220903_2.0002.210 | pokaż działkę | zamów raport |
| 6 | 220903_2.0002.212 | pokaż działkę | zamów raport |
| Kształt, wymiary działki i współrzędne punktów granicznych | |
|---|---|
![]() |
|
| Współrzędne punktów geograficzne oraz XY w układzie PL-1992 (EPSG:2180) | |
| Lp. | Długość | Szerokość | X (PL-1992) | Y (PL-1992) | Długość boku |
|---|---|---|---|---|---|
| 1 | 18.870973 | 54.114760 | 694 498.15 | 491 568.16 | |
| 2 | 18.870941 | 54.115354 | 694 564.22 | 491 566.20 | 66.10 |
| 3 | 18.870350 | 54.115399 | 694 569.32 | 491 527.58 | 39.00 |
| 4 | 18.870378 | 54.115033 | 694 528.55 | 491 529.33 | 40.80 |
| 5 | 18.870400 | 54.114750 | 694 497.05 | 491 530.68 | 31.50 |
| 6 | 18.870973 | 54.114760 | 694 498.15 | 491 568.16 | 37.50 |
| Zobacz wszystkie informacje | |||
|---|---|---|---|
| |||