![]() |
Raport o działce ewidencyjnej220108_2.0010.50/5(Informacje podstawowe - Pełny raport → dzialka.online) |
![]() |
|---|
| Numer działki | 50/5 |
|---|---|
| ID działki | 220108_2.0010.50/5 widok w portalu e-mapa |
| Obręb | Sominy |
| Położenie | województwo pomorskie, powiat bytowski, gmina Studzienice |
| Adres | ul. Wczasowa 21, Sominy (77-143) |
| Powierzchnia geometryczna i obwód | 1043 m2 (0.1043 ha), 209 m |
| Powierzchnia zabudowy | 66 m2 (6.3%) |
| Współrzędne i wysokość środka | X: 686616, Y: 411394, H: 151 m (PL-1992; PL-EVRF2007-NH) |
| Grupa rejestrowa (własność) | 7 - osoby fizyczne |
![]() | |
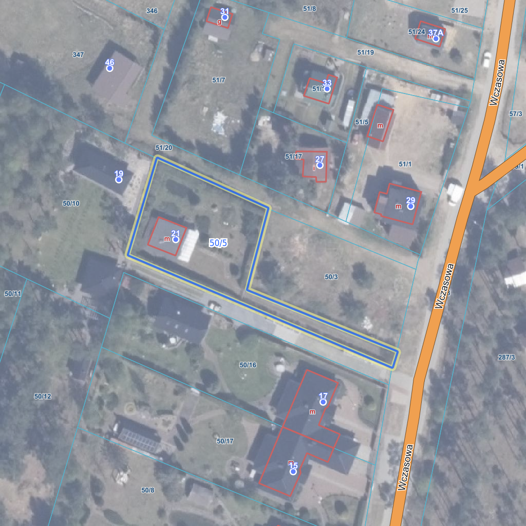
| Najbliższe otoczenie działki | |
|---|---|
![]() |
|
| Wykaz działek sąsiednich - pokaż wszystkie działki w portalu e-mapa | |
| Lp. | Działki sąsiednie | E-mapa | Raport |
|---|---|---|---|
| 1 | 220108_2.0010.198 | pokaż działkę | zamów raport |
| 2 | 220108_2.0010.50/10 | pokaż działkę | zamów raport |
| 3 | 220108_2.0010.50/3 | pokaż działkę | zamów raport |
| 4 | 220108_2.0010.51/20 | pokaż działkę | zamów raport |
| Kształt, wymiary działki i współrzędne punktów granicznych | |
|---|---|
![]() |
|
| Współrzędne punktów geograficzne oraz XY w układzie PL-1992 (EPSG:2180) | |
| Lp. | Długość | Szerokość | X (PL-1992) | Y (PL-1992) | Długość boku |
|---|---|---|---|---|---|
| 1 | 17.647383 | 54.036104 | 686 587.80 | 411 442.46 | |
| 2 | 17.646754 | 54.036247 | 686 604.48 | 411 401.57 | 44.20 |
| 3 | 17.646837 | 54.036448 | 686 626.71 | 411 407.43 | 23.00 |
| 4 | 17.646379 | 54.036564 | 686 640.17 | 411 377.71 | 32.60 |
| 5 | 17.646268 | 54.036329 | 686 614.19 | 411 369.93 | 27.10 |
| 6 | 17.647366 | 54.036069 | 686 583.85 | 411 441.23 | 77.50 |
| 7 | 17.647383 | 54.036104 | 686 587.80 | 411 442.46 | 4.10 |
| Zobacz wszystkie informacje | |||
|---|---|---|---|
| |||