![]() |
Raport o działce ewidencyjnej201207_2.0030.794(Informacje podstawowe - Pełny raport → dzialka.online) |
![]() |
|---|
| Numer działki | 794 |
|---|---|
| ID działki | 201207_2.0030.794 widok w portalu e-mapa |
| Obręb | PŁOCICZNO-TARTAK |
| Położenie | województwo podlaskie, powiat suwalski, gmina Suwałki |
| Adres | Płociczno-Osiedle 146 (16-413) |
| Pole ewidencyjne | 0.1321 ha |
| Powierzchnia geometryczna i obwód | 1322 m2 (0.1322 ha), 145 m |
| Powierzchnia zabudowy | 230 m2 (17.4%) |
| Współrzędne i wysokość środka | X: 693123, Y: 759304, H: 165 m (PL-1992; PL-EVRF2007-NH) |
| Grupa rejestrowa (własność) | 7 - osoby fizyczne |
| Klasoużytki | B - mieszkaniowe |
![]() | |
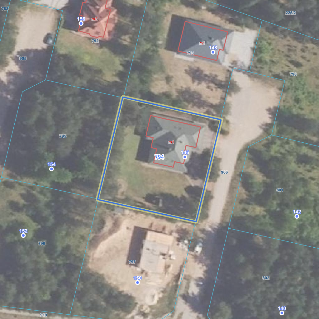
| Najbliższe otoczenie działki | |
|---|---|
![]() |
|
| Wykaz działek sąsiednich - pokaż wszystkie działki w portalu e-mapa | |
| Lp. | Działki sąsiednie | E-mapa | Raport |
|---|---|---|---|
| 1 | 201207_2.0030.792 | pokaż działkę | zamów raport |
| 2 | 201207_2.0030.793 | pokaż działkę | zamów raport |
| 3 | 201207_2.0030.795 | pokaż działkę | zamów raport |
| 4 | 201207_2.0030.796 | pokaż działkę | zamów raport |
| 5 | 201207_2.0030.797 | pokaż działkę | zamów raport |
| 6 | 201207_2.0030.906 | pokaż działkę | zamów raport |
| Kształt, wymiary działki i współrzędne punktów granicznych | |
|---|---|
![]() |
|
| Współrzędne punktów geograficzne oraz XY w układzie PL-1992 (EPSG:2180) | |
| Lp. | Długość | Szerokość | X (PL-1992) | Y (PL-1992) | Długość boku |
|---|---|---|---|---|---|
| 1 | 22.961893 | 54.037307 | 693 137.33 | 759 326.05 | |
| 2 | 22.961372 | 54.037396 | 693 145.35 | 759 291.39 | 35.60 |
| 3 | 22.961206 | 54.037076 | 693 109.18 | 759 282.49 | 37.20 |
| 4 | 22.961729 | 54.036988 | 693 101.38 | 759 317.27 | 35.60 |
| 5 | 22.961893 | 54.037307 | 693 137.33 | 759 326.05 | 37.00 |
| Zobacz wszystkie informacje | |||
|---|---|---|---|
| |||