![]() |
Raport o działce ewidencyjnej201207_2.0004.58(Informacje podstawowe - Pełny raport → dzialka.online) |
![]() |
|---|
| Numer działki | 58 |
|---|---|
| ID działki | 201207_2.0004.58 widok w portalu e-mapa |
| Obręb | BURDENISZKI |
| Położenie | województwo podlaskie, powiat suwalski, gmina Suwałki |
| Adres | Burdeniszki 23G (16-402) |
| Pole ewidencyjne | 0.0581 ha |
| Powierzchnia geometryczna i obwód | 581 m2 (0.0581 ha), 107 m |
| Powierzchnia zabudowy | 36 m2 (6.2%) |
| Współrzędne i wysokość środka | X: 698111, Y: 769422, H: 139 m (PL-1992; PL-EVRF2007-NH) |
| Grupa rejestrowa (własność) | 7 - osoby fizyczne |
| Klasoużytki | RVI,Bi - orne |
![]() | |
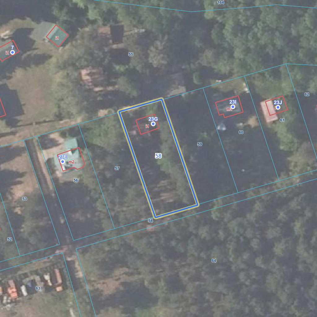
| Najbliższe otoczenie działki | |
|---|---|
![]() |
|
| Wykaz działek sąsiednich - pokaż wszystkie działki w portalu e-mapa | |
| Lp. | Działki sąsiednie | E-mapa | Raport |
|---|---|---|---|
| 1 | 201207_2.0004.54 | pokaż działkę | zamów raport |
| 2 | 201207_2.0004.55 | pokaż działkę | zamów raport |
| 3 | 201207_2.0004.57 | pokaż działkę | zamów raport |
| 4 | 201207_2.0004.59 | pokaż działkę | zamów raport |
| Kształt, wymiary działki i współrzędne punktów granicznych | |
|---|---|
![]() |
|
| Współrzędne punktów geograficzne oraz XY w układzie PL-1992 (EPSG:2180) | |
| Lp. | Długość | Szerokość | X (PL-1992) | Y (PL-1992) | Długość boku |
|---|---|---|---|---|---|
| 1 | 23.120318 | 54.076582 | 698 094.99 | 769 435.70 | |
| 2 | 23.120161 | 54.076916 | 698 131.58 | 769 423.27 | 38.60 |
| 3 | 23.119936 | 54.076886 | 698 127.36 | 769 408.76 | 15.10 |
| 4 | 23.120095 | 54.076551 | 698 090.76 | 769 421.33 | 38.70 |
| 5 | 23.120318 | 54.076582 | 698 094.99 | 769 435.70 | 15.00 |
| Zobacz wszystkie informacje | |||
|---|---|---|---|
| |||