![]() |
Raport o działce ewidencyjnej201207_2.0001.356(Informacje podstawowe - Pełny raport → dzialka.online) |
![]() |
|---|
| Numer działki | 356 |
|---|---|
| ID działki | 201207_2.0001.356 widok w portalu e-mapa |
| Obręb | BIAŁA WODA |
| Położenie | województwo podlaskie, powiat suwalski, gmina Suwałki |
| Adres | Biała Woda 85 (16-402) |
| Pole ewidencyjne | 0.1437 ha |
| Powierzchnia geometryczna i obwód | 1438 m2 (0.1438 ha), 154 m |
| Współrzędne i wysokość środka | X: 705699, Y: 754699, H: 189 m (PL-1992; PL-EVRF2007-NH) |
| Grupa rejestrowa (własność) | 7 - osoby fizyczne |
| Klasoużytki | RV,RVI - orne |
![]() | |
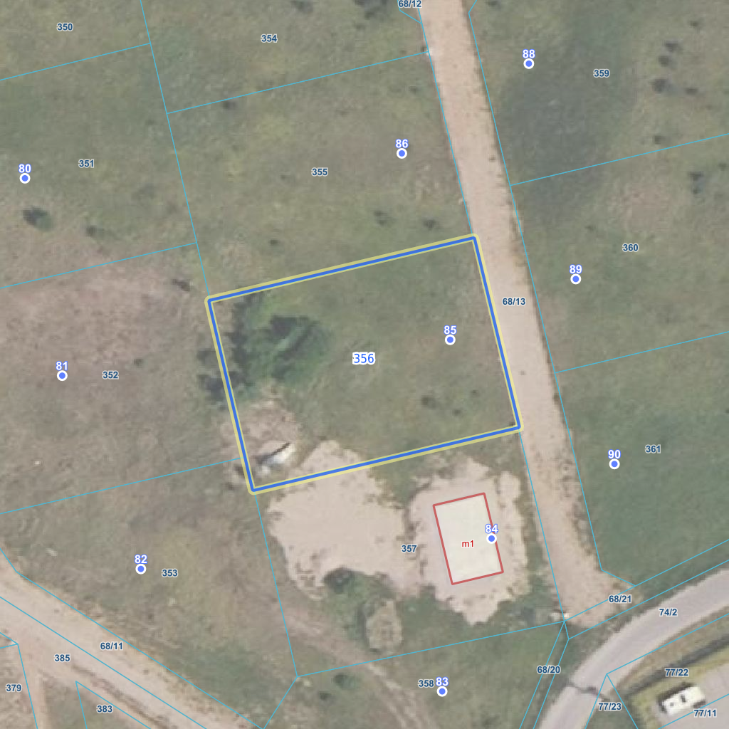
| Najbliższe otoczenie działki | |
|---|---|
![]() |
|
| Wykaz działek sąsiednich - pokaż wszystkie działki w portalu e-mapa | |
| Lp. | Działki sąsiednie | E-mapa | Raport |
|---|---|---|---|
| 1 | 201207_2.0001.352 | pokaż działkę | zamów raport |
| 2 | 201207_2.0001.353 | pokaż działkę | zamów raport |
| 3 | 201207_2.0001.355 | pokaż działkę | zamów raport |
| 4 | 201207_2.0001.357 | pokaż działkę | zamów raport |
| 5 | 201207_2.0001.68/13 | pokaż działkę | zamów raport |
| Kształt, wymiary działki i współrzędne punktów granicznych | |
|---|---|
![]() |
|
| Współrzędne punktów geograficzne oraz XY w układzie PL-1992 (EPSG:2180) | |
| Lp. | Długość | Szerokość | X (PL-1992) | Y (PL-1992) | Długość boku |
|---|---|---|---|---|---|
| 1 | 22.901587 | 54.152390 | 705 709.18 | 754 673.96 | |
| 2 | 22.901656 | 54.152156 | 705 683.41 | 754 679.93 | 26.40 |
| 3 | 22.901670 | 54.152107 | 705 678.05 | 754 681.17 | 5.50 |
| 4 | 22.902350 | 54.152179 | 705 688.44 | 754 725.06 | 45.10 |
| 5 | 22.902263 | 54.152461 | 705 719.52 | 754 717.64 | 31.90 |
| 6 | 22.901587 | 54.152390 | 705 709.18 | 754 673.96 | 44.90 |
| Zobacz wszystkie informacje | |||
|---|---|---|---|
| |||