![]() |
Raport o działce ewidencyjnej201005_2.0010.610(Informacje podstawowe - Pełny raport → dzialka.online) |
![]() |
|---|
| Numer działki | 610 |
|---|---|
| ID działki | 201005_2.0010.610 widok w portalu e-mapa |
| Obręb | SUTNO |
| Położenie | województwo podlaskie, powiat siemiatycki, gmina Mielnik |
| Adres | Sutno 58 (17-307) |
| Pole ewidencyjne | 0.04 ha |
| Powierzchnia geometryczna i obwód | 435 m2 (0.0435 ha), 92 m |
| Współrzędne i wysokość środka | X: 501523, Y: 780367, H: 130 m (PL-1992; PL-EVRF2007-NH) |
| Grupa rejestrowa (własność) | 7 - osoby fizyczne |
| Klasoużytki | B/RV - mieszkaniowe |
![]() | |
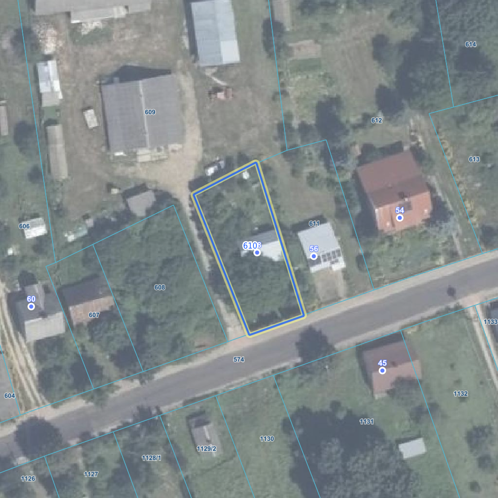
| Najbliższe otoczenie działki | |
|---|---|
![]() |
|
| Wykaz działek sąsiednich - pokaż wszystkie działki w portalu e-mapa | |
| Lp. | Działki sąsiednie | E-mapa | Raport |
|---|---|---|---|
| 1 | 201005_2.0010.574 | pokaż działkę | zamów raport |
| 2 | 201005_2.0010.609 | pokaż działkę | zamów raport |
| 3 | 201005_2.0010.611 | pokaż działkę | zamów raport |
| Kształt, wymiary działki i współrzędne punktów granicznych | |
|---|---|
![]() |
|
| Współrzędne punktów geograficzne oraz XY w układzie PL-1992 (EPSG:2180) | |
| Lp. | Długość | Szerokość | X (PL-1992) | Y (PL-1992) | Długość boku |
|---|---|---|---|---|---|
| 1 | 23.114529 | 52.307822 | 501 509.01 | 780 378.16 | |
| 2 | 23.114409 | 52.308118 | 501 541.37 | 780 368.09 | 33.90 |
| 3 | 23.114213 | 52.308064 | 501 534.67 | 780 355.09 | 14.60 |
| 4 | 23.114360 | 52.307792 | 501 505.02 | 780 366.86 | 31.90 |
| 5 | 23.114529 | 52.307822 | 501 509.01 | 780 378.16 | 12.00 |
| Zobacz wszystkie informacje | |||
|---|---|---|---|
| |||