![]() |
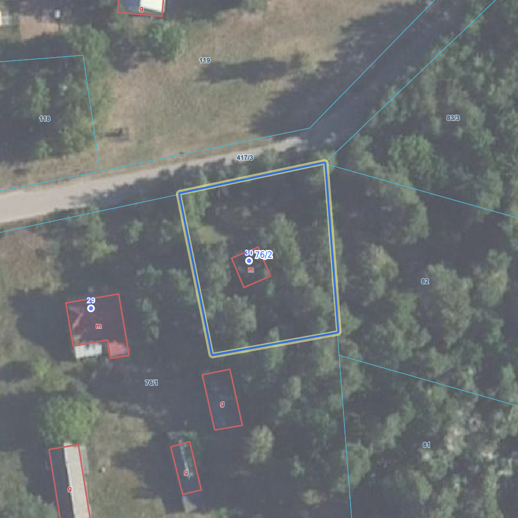
Raport o działce ewidencyjnej200709_2.0010.76/2(Informacje podstawowe - Pełny raport → dzialka.online) |
![]() |
|---|
| Numer działki | 76/2 |
|---|---|
| ID działki | 200709_2.0010.76/2 widok w portalu e-mapa |
| Obręb | Pianki |
| Położenie | województwo podlaskie, powiat łomżyński, gmina Zbójna |
| Adres | Pianki 30 (18-416) |
| Powierzchnia geometryczna i obwód | 1034 m2 (0.1034 ha), 129 m |
| Powierzchnia zabudowy | 42 m2 (4.1%) |
| Współrzędne i wysokość środka | X: 597899, Y: 685514, H: 101 m (PL-1992; PL-EVRF2007-NH) |
| Grupa rejestrowa (własność) | 7 - osoby fizyczne |
![]() | |
| Najbliższe otoczenie działki | |
|---|---|
![]() |
|
| Wykaz działek sąsiednich - pokaż wszystkie działki w portalu e-mapa | |
| Lp. | Działki sąsiednie | E-mapa | Raport |
|---|---|---|---|
| 1 | 200709_2.0010.417/3 | pokaż działkę | zamów raport |
| 2 | 200709_2.0010.76/1 | pokaż działkę | zamów raport |
| 3 | 200709_2.0010.82 | pokaż działkę | zamów raport |
| 4 | 200709_2.0010.83/3 | pokaż działkę | zamów raport |
| Kształt, wymiary działki i współrzędne punktów granicznych | |
|---|---|
![]() |
|
| Współrzędne punktów geograficzne oraz XY w układzie PL-1992 (EPSG:2180) | |
| Lp. | Długość | Szerokość | X (PL-1992) | Y (PL-1992) | Długość boku |
|---|---|---|---|---|---|
| 1 | 21.778940 | 53.214012 | 597 912.41 | 685 495.99 | |
| 2 | 21.779024 | 53.213703 | 597 878.24 | 685 502.95 | 34.90 |
| 3 | 21.779425 | 53.213736 | 597 883.03 | 685 529.57 | 27.00 |
| 4 | 21.779405 | 53.214060 | 597 918.96 | 685 526.80 | 36.00 |
| 5 | 21.778940 | 53.214012 | 597 912.41 | 685 495.99 | 31.50 |
| Zobacz wszystkie informacje | |||
|---|---|---|---|
| |||