![]() |
Raport o działce ewidencyjnej200216_2.0010.455/16(Informacje podstawowe - Pełny raport → dzialka.online) |
![]() |
|---|
| Numer działki | 455/16 |
|---|---|
| ID działki | 200216_2.0010.455/16 widok w portalu e-mapa |
| Obręb | SOBOLEWO |
| Położenie | województwo podlaskie, powiat białostocki, gmina Grabówka |
| Adres | ul. Gruszkowa 19, Sobolewo (15-509) |
| Pole ewidencyjne | 0.0501 ha |
| Powierzchnia geometryczna i obwód | 501 m2 (0.0501 ha), 90 m |
| Współrzędne i wysokość środka | X: 591962, Y: 785553, H: 155 m (PL-1992; PL-EVRF2007-NH) |
| Grupa rejestrowa (własność) | 7 - osoby fizyczne |
| Klasoużytki | B - mieszkaniowe |
![]() | |
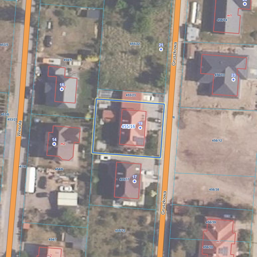
| Najbliższe otoczenie działki | |
|---|---|
![]() |
|
| Wykaz działek sąsiednich - pokaż wszystkie działki w portalu e-mapa | |
| Lp. | Działki sąsiednie | E-mapa | Raport |
|---|---|---|---|
| 1 | 200216_2.0010.454/5 | pokaż działkę | zamów raport |
| 2 | 200216_2.0010.454/6 | pokaż działkę | zamów raport |
| 3 | 200216_2.0010.455/17 | pokaż działkę | zamów raport |
| 4 | 200216_2.0010.455/23 | pokaż działkę | zamów raport |
| 5 | 200216_2.0010.455/6 | pokaż działkę | zamów raport |
| Kształt, wymiary działki i współrzędne punktów granicznych | |
|---|---|
![]() |
|
| Współrzędne punktów geograficzne oraz XY w układzie PL-1992 (EPSG:2180) | |
| Lp. | Długość | Szerokość | X (PL-1992) | Y (PL-1992) | Długość boku |
|---|---|---|---|---|---|
| 1 | 23.268650 | 53.116381 | 591 965.43 | 785 540.15 | |
| 2 | 23.268625 | 53.116270 | 591 952.93 | 785 539.22 | 12.50 |
| 3 | 23.268998 | 53.116239 | 591 951.04 | 785 564.38 | 25.20 |
| 4 | 23.269038 | 53.116416 | 591 970.83 | 785 565.87 | 19.80 |
| 5 | 23.268664 | 53.116447 | 591 972.74 | 785 540.69 | 25.20 |
| 6 | 23.268650 | 53.116381 | 591 965.43 | 785 540.15 | 7.30 |
| Zobacz wszystkie informacje | |||
|---|---|---|---|
| |||