![]() |
Raport o działce ewidencyjnej200216_2.0010.438/33(Informacje podstawowe - Pełny raport → dzialka.online) |
![]() |
|---|
| Numer działki | 438/33 |
|---|---|
| ID działki | 200216_2.0010.438/33 widok w portalu e-mapa |
| Obręb | SOBOLEWO |
| Położenie | województwo podlaskie, powiat białostocki, gmina Grabówka |
| Adres | ul. Żeglarska 4, Sobolewo (15-509) |
| Pole ewidencyjne | 0.0346 ha |
| Powierzchnia geometryczna i obwód | 346 m2 (0.0346 ha), 76 m |
| Współrzędne i wysokość środka | X: 591580, Y: 784681, H: 149 m (PL-1992; PL-EVRF2007-NH) |
| Grupa rejestrowa (własność) | 7 - osoby fizyczne |
| Klasoużytki | B - mieszkaniowe |
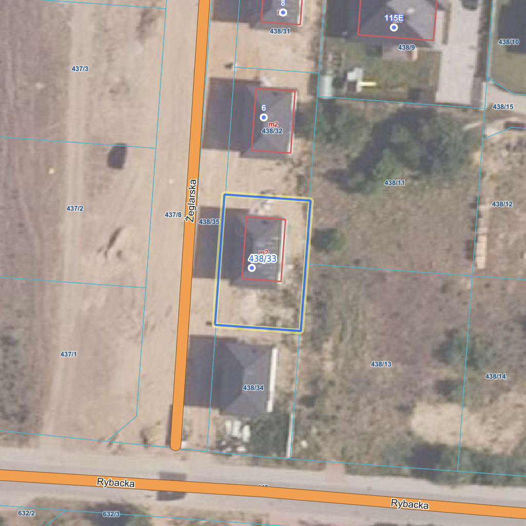
![]() | |
| Najbliższe otoczenie działki | |
|---|---|
![]() |
|
| Wykaz działek sąsiednich - pokaż wszystkie działki w portalu e-mapa | |
| Lp. | Działki sąsiednie | E-mapa | Raport |
|---|---|---|---|
| 1 | 200216_2.0010.438/11 | pokaż działkę | zamów raport |
| 2 | 200216_2.0010.438/13 | pokaż działkę | zamów raport |
| 3 | 200216_2.0010.438/32 | pokaż działkę | zamów raport |
| 4 | 200216_2.0010.438/34 | pokaż działkę | zamów raport |
| 5 | 200216_2.0010.438/35 | pokaż działkę | zamów raport |
| Kształt, wymiary działki i współrzędne punktów granicznych | |
|---|---|
![]() |
|
| Współrzędne punktów geograficzne oraz XY w układzie PL-1992 (EPSG:2180) | |
| Lp. | Długość | Szerokość | X (PL-1992) | Y (PL-1992) | Długość boku |
|---|---|---|---|---|---|
| 1 | 23.255635 | 53.113482 | 591 591.33 | 784 689.17 | |
| 2 | 23.255412 | 53.113499 | 591 592.41 | 784 674.15 | 15.10 |
| 3 | 23.255366 | 53.113294 | 591 569.46 | 784 672.48 | 23.00 |
| 4 | 23.255589 | 53.113277 | 591 568.38 | 784 687.46 | 15.00 |
| 5 | 23.255612 | 53.113382 | 591 580.21 | 784 688.35 | 11.90 |
| 6 | 23.255635 | 53.113482 | 591 591.33 | 784 689.17 | 11.10 |
| Zobacz wszystkie informacje | |||
|---|---|---|---|
| |||