![]() |
Raport o działce ewidencyjnej200213_5.0010.1210/2(Informacje podstawowe - Pełny raport → dzialka.online) |
![]() |
|---|
| Numer działki | 1210/2 |
|---|---|
| ID działki | 200213_5.0010.1210/2 widok w portalu e-mapa |
| Obręb | STUDZIANKI |
| Położenie | województwo podlaskie, powiat białostocki, gmina Wasilków |
| Adres | ul. 3-go Maja 21/2, Studzianki (16-010) |
| Pole ewidencyjne | 0.1005 ha |
| Powierzchnia geometryczna i obwód | 1006 m2 (0.1006 ha), 161 m |
| Współrzędne i wysokość środka | X: 605279, Y: 785688, H: 145 m (PL-1992; PL-EVRF2007-NH) |
| Grupa rejestrowa (własność) | 7 - osoby fizyczne |
| Klasoużytki | RIVb,RV - orne |
![]() | |
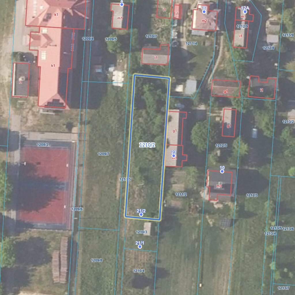
| Najbliższe otoczenie działki | |
|---|---|
![]() |
|
| Wykaz działek sąsiednich - pokaż wszystkie działki w portalu e-mapa | |
| Lp. | Działki sąsiednie | E-mapa | Raport |
|---|---|---|---|
| 1 | 200213_5.0010.1210/3 | pokaż działkę | zamów raport |
| 2 | 200213_5.0010.1210/5 | pokaż działkę | zamów raport |
| 3 | 200213_5.0010.1210/7 | pokaż działkę | zamów raport |
| 4 | 200213_5.0010.1211/2 | pokaż działkę | zamów raport |
| 5 | 200213_5.0010.1211/4 | pokaż działkę | zamów raport |
| Kształt, wymiary działki i współrzędne punktów granicznych | |
|---|---|
![]() |
|
| Współrzędne punktów geograficzne oraz XY w układzie PL-1992 (EPSG:2180) | |
| Lp. | Długość | Szerokość | X (PL-1992) | Y (PL-1992) | Długość boku |
|---|---|---|---|---|---|
| 1 | 23.282801 | 53.235377 | 605 245.29 | 785 693.60 | |
| 2 | 23.282910 | 53.235884 | 605 302.10 | 785 697.46 | 57.00 |
| 3 | 23.282925 | 53.235957 | 605 310.21 | 785 698.01 | 8.10 |
| 4 | 23.282695 | 53.235978 | 605 311.66 | 785 682.47 | 15.60 |
| 5 | 23.282575 | 53.235398 | 605 246.72 | 785 678.35 | 65.10 |
| 6 | 23.282801 | 53.235377 | 605 245.29 | 785 693.60 | 15.30 |
| Zobacz wszystkie informacje | |||
|---|---|---|---|
| |||