![]() |
Raport o działce ewidencyjnej200106_2.0010.69/2(Informacje podstawowe - Pełny raport → dzialka.online) |
![]() |
|---|
| Numer działki | 69/2 |
|---|---|
| ID działki | 200106_2.0010.69/2 widok w portalu e-mapa |
| Obręb | RUDAWKA |
| Położenie | województwo podlaskie, powiat augustowski, gmina Płaska |
| Adres | Rudawka 34 (16-326) |
| Pole ewidencyjne | 0.1265 ha |
| Powierzchnia geometryczna i obwód | 1259 m2 (0.1259 ha), 167 m |
| Współrzędne i wysokość środka | X: 676350, Y: 796732, H: 113 m (PL-1992; PL-EVRF2007-NH) |
| Grupa rejestrowa (własność) | 7 - osoby fizyczne |
| Klasoużytki | Br/RVI - rolne zabudowane |
![]() | |
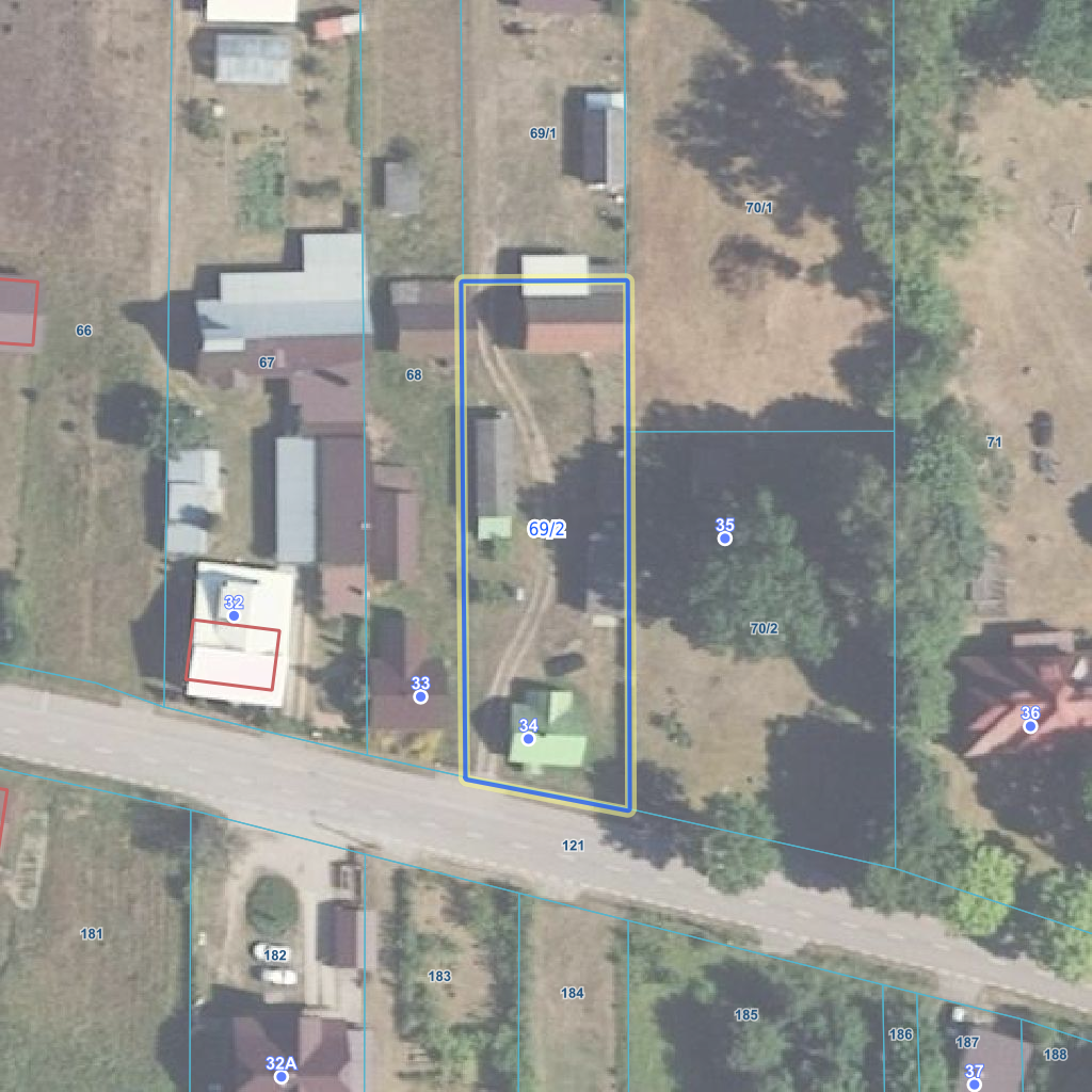
| Najbliższe otoczenie działki | |
|---|---|
![]() |
|
| Wykaz działek sąsiednich - pokaż wszystkie działki w portalu e-mapa | |
| Lp. | Działki sąsiednie | E-mapa | Raport |
|---|---|---|---|
| 1 | 200106_2.0010.121 | pokaż działkę | zamów raport |
| 2 | 200106_2.0010.68 | pokaż działkę | zamów raport |
| 3 | 200106_2.0010.69/1 | pokaż działkę | zamów raport |
| 4 | 200106_2.0010.70/1 | pokaż działkę | zamów raport |
| 5 | 200106_2.0010.70/2 | pokaż działkę | zamów raport |
| Kształt, wymiary działki i współrzędne punktów granicznych | |
|---|---|
![]() |
|
| Współrzędne punktów geograficzne oraz XY w układzie PL-1992 (EPSG:2180) | |
| Lp. | Długość | Szerokość | X (PL-1992) | Y (PL-1992) | Długość boku |
|---|---|---|---|---|---|
| 1 | 23.515035 | 53.866430 | 676 320.06 | 796 722.36 | |
| 2 | 23.515332 | 53.866384 | 676 316.24 | 796 742.18 | 20.20 |
| 3 | 23.515374 | 53.866802 | 676 362.85 | 796 742.02 | 46.60 |
| 4 | 23.515391 | 53.866968 | 676 381.33 | 796 741.93 | 18.50 |
| 5 | 23.515086 | 53.866978 | 676 381.20 | 796 721.84 | 20.10 |
| 6 | 23.515035 | 53.866430 | 676 320.06 | 796 722.36 | 61.10 |
| Zobacz wszystkie informacje | |||
|---|---|---|---|
| |||