![]() |
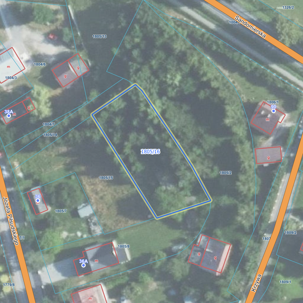
Raport o działce ewidencyjnej182002_2.0002.1805/16(Informacje podstawowe - Pełny raport → dzialka.online) |
![]() |
|---|
| Numer działki | 1805/16 |
|---|---|
| ID działki | 182002_2.0002.1805/16 widok w portalu e-mapa |
| Obręb | Gorzyce |
| Położenie | województwo podkarpackie, powiat tarnobrzeski, gmina Gorzyce |
| Powierzchnia geometryczna i obwód | 1188 m2 (0.1188 ha), 150 m |
| Współrzędne i wysokość środka | X: 314865, Y: 700648, H: 145 m (PL-1992; PL-EVRF2007-NH) |
![]() | |
| Najbliższe otoczenie działki | |
|---|---|
![]() |
|
| Wykaz działek sąsiednich - pokaż wszystkie działki w portalu e-mapa | |
| Lp. | Działki sąsiednie | E-mapa | Raport |
|---|---|---|---|
| 1 | 182002_2.0002.1805/14 | pokaż działkę | zamów raport |
| 2 | 182002_2.0002.1805/15 | pokaż działkę | zamów raport |
| 3 | 182002_2.0002.1805/2 | pokaż działkę | zamów raport |
| 4 | 182002_2.0002.1805/8 | pokaż działkę | zamów raport |
| Kształt, wymiary działki i współrzędne punktów granicznych | |
|---|---|
![]() |
|
| Współrzędne punktów geograficzne oraz XY w układzie PL-1992 (EPSG:2180) | |
| Lp. | Długość | Szerokość | X (PL-1992) | Y (PL-1992) | Długość boku |
|---|---|---|---|---|---|
| 1 | 21.840189 | 50.666388 | 314 890.47 | 700 644.37 | |
| 2 | 21.840156 | 50.666410 | 314 892.84 | 700 641.89 | 3.40 |
| 3 | 21.839903 | 50.666308 | 314 880.79 | 700 624.47 | 21.20 |
| 4 | 21.840252 | 50.665922 | 314 838.82 | 700 650.81 | 49.60 |
| 5 | 21.840561 | 50.665977 | 314 845.80 | 700 672.40 | 22.70 |
| 6 | 21.840461 | 50.666105 | 314 859.72 | 700 664.76 | 15.90 |
| 7 | 21.840392 | 50.666179 | 314 867.80 | 700 659.57 | 9.60 |
| 8 | 21.840317 | 50.666257 | 314 876.26 | 700 653.92 | 10.20 |
| 9 | 21.840189 | 50.666388 | 314 890.47 | 700 644.37 | 17.10 |
| Zobacz wszystkie informacje | |||
|---|---|---|---|
| |||