![]() |
Raport o działce ewidencyjnej181107_5.0063.1099(Informacje podstawowe - Pełny raport → dzialka.online) |
![]() |
|---|
| Numer działki | 1099 |
|---|---|
| ID działki | 181107_5.0063.1099 widok w portalu e-mapa |
| Obręb | Dobrynin |
| Położenie | województwo podkarpackie, powiat mielecki, gmina Przecław |
| Adres | Dobrynin 145 (39-322) |
| Powierzchnia geometryczna i obwód | 1325 m2 (0.1325 ha), 158 m |
| Powierzchnia zabudowy | 133 m2 (10%) |
| Współrzędne i wysokość środka | X: 262104, Y: 683416, H: 186 m (PL-1992; PL-EVRF2007-NH) |
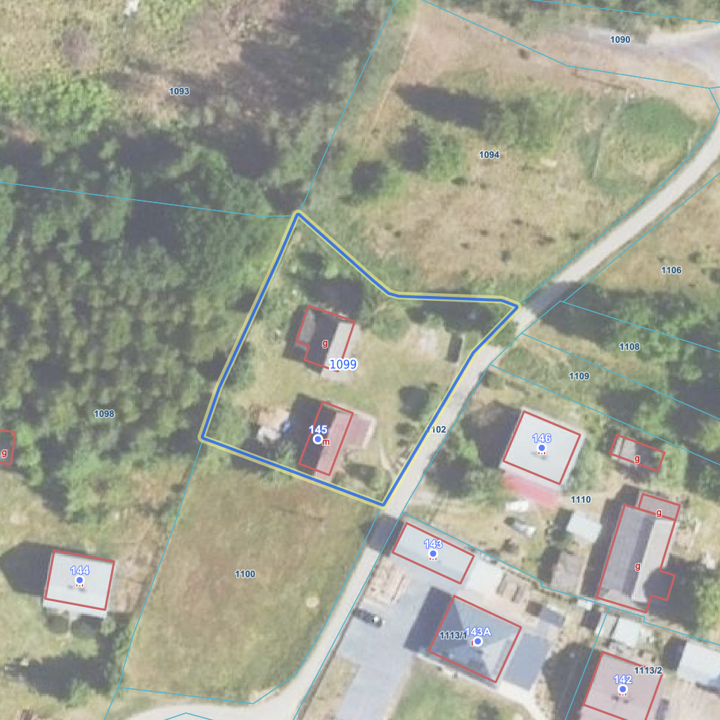
![]() | |
| Najbliższe otoczenie działki | |
|---|---|
![]() |
|
| Wykaz działek sąsiednich - pokaż wszystkie działki w portalu e-mapa | |
| Lp. | Działki sąsiednie | E-mapa | Raport |
|---|---|---|---|
| 1 | 181107_5.0063.1093 | pokaż działkę | zamów raport |
| 2 | 181107_5.0063.1094 | pokaż działkę | zamów raport |
| 3 | 181107_5.0063.1098 | pokaż działkę | zamów raport |
| 4 | 181107_5.0063.1100 | pokaż działkę | zamów raport |
| 5 | 181107_5.0063.1102 | pokaż działkę | zamów raport |
| Kształt, wymiary działki i współrzędne punktów granicznych | |
|---|---|
![]() |
|
| Współrzędne punktów geograficzne oraz XY w układzie PL-1992 (EPSG:2180) | |
| Lp. | Długość | Szerokość | X (PL-1992) | Y (PL-1992) | Długość boku |
|---|---|---|---|---|---|
| 1 | 21.570422 | 50.197588 | 262 092.33 | 683 392.40 | |
| 2 | 21.570846 | 50.197476 | 262 080.89 | 683 423.11 | 32.80 |
| 3 | 21.571073 | 50.197705 | 262 106.92 | 683 438.44 | 30.20 |
| 4 | 21.571181 | 50.197772 | 262 114.59 | 683 445.89 | 10.70 |
| 5 | 21.571148 | 50.197781 | 262 115.52 | 683 443.45 | 2.60 |
| 6 | 21.570901 | 50.197793 | 262 116.22 | 683 425.82 | 17.60 |
| 7 | 21.570876 | 50.197798 | 262 116.72 | 683 424.02 | 1.90 |
| 8 | 21.570838 | 50.197819 | 262 119.03 | 683 421.23 | 3.60 |
| 9 | 21.570667 | 50.197924 | 262 130.28 | 683 408.62 | 16.90 |
| 10 | 21.570615 | 50.197853 | 262 122.25 | 683 405.19 | 8.70 |
| 11 | 21.570466 | 50.197661 | 262 100.57 | 683 395.25 | 23.80 |
| 12 | 21.570422 | 50.197588 | 262 092.33 | 683 392.40 | 8.70 |
| Zobacz wszystkie informacje | |||
|---|---|---|---|
| |||