![]() |
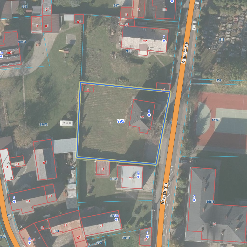
Raport o działce ewidencyjnej160501_5.0004.995(Informacje podstawowe - Pełny raport → dzialka.online) |
![]() |
|---|
| Numer działki | 995 |
|---|---|
| ID działki | 160501_5.0004.995 widok w portalu e-mapa |
| Obręb | KAMIEŃ ŚLĄSKI |
| Położenie | województwo opolskie, powiat krapkowicki, gmina Gogolin |
| Adres | ul. Klasztorna 5, Kamień Śląski (47-320) |
| Pole ewidencyjne | 0.125 ha |
| Powierzchnia geometryczna i obwód | 1252 m2 (0.1252 ha), 142 m |
| Powierzchnia zabudowy | 142 m2 (11.3%) |
| Współrzędne i wysokość środka | X: 297534, Y: 434442, H: 199 m (PL-1992; PL-EVRF2007-NH) |
| Grupa rejestrowa (własność) | 4 - gminy i jednostki samorządowe (bez zbiegu z użytkownikami wieczystymi) |
| Klasoużytki | Bi - inne zabudowane |
![]() | |
| Najbliższe otoczenie działki | |
|---|---|
![]() |
|
| Wykaz działek sąsiednich - pokaż wszystkie działki w portalu e-mapa | |
| Lp. | Działki sąsiednie | E-mapa | Raport |
|---|---|---|---|
| 1 | 160501_5.0004.538/2 | pokaż działkę | zamów raport |
| 2 | 160501_5.0004.992/1 | pokaż działkę | zamów raport |
| 3 | 160501_5.0004.994/2 | pokaż działkę | zamów raport |
| 4 | 160501_5.0004.996 | pokaż działkę | zamów raport |
| Kształt, wymiary działki i współrzędne punktów granicznych | |
|---|---|
![]() |
|
| Współrzędne punktów geograficzne oraz XY w układzie PL-1992 (EPSG:2180) | |
| Lp. | Długość | Szerokość | X (PL-1992) | Y (PL-1992) | Długość boku |
|---|---|---|---|---|---|
| 1 | 18.074273 | 50.541348 | 297 551.79 | 434 424.00 | |
| 2 | 18.074256 | 50.541048 | 297 518.46 | 434 422.40 | 33.40 |
| 3 | 18.074756 | 50.541024 | 297 515.31 | 434 457.82 | 35.60 |
| 4 | 18.074839 | 50.541315 | 297 547.60 | 434 464.04 | 32.90 |
| 5 | 18.074273 | 50.541348 | 297 551.79 | 434 424.00 | 40.30 |
| Zobacz wszystkie informacje | |||
|---|---|---|---|
| |||