![]() |
Raport o działce ewidencyjnej143409_5.0010.15/13(Informacje podstawowe - Pełny raport → dzialka.online) |
![]() |
|---|
| Numer działki | 15/13 |
|---|---|
| ID działki | 143409_5.0010.15/13 widok w portalu e-mapa |
| Obręb | ŁĄKI |
| Położenie | województwo mazowieckie, powiat wołomiński, gmina Radzymin |
| Adres | ul. Cisowa 15, Łąki (05-250) |
| Pole ewidencyjne | 0.1057 ha |
| Powierzchnia geometryczna i obwód | 1056 m2 (0.1056 ha), 130 m |
| Powierzchnia zabudowy | 95 m2 (9%) |
| Współrzędne i wysokość środka | X: 511069, Y: 643657, H: 82 m (PL-1992; PL-EVRF2007-NH) |
| Grupa rejestrowa (własność) | 7 - osoby fizyczne |
| Klasoużytki | Bi - inne zabudowane |
![]() | |
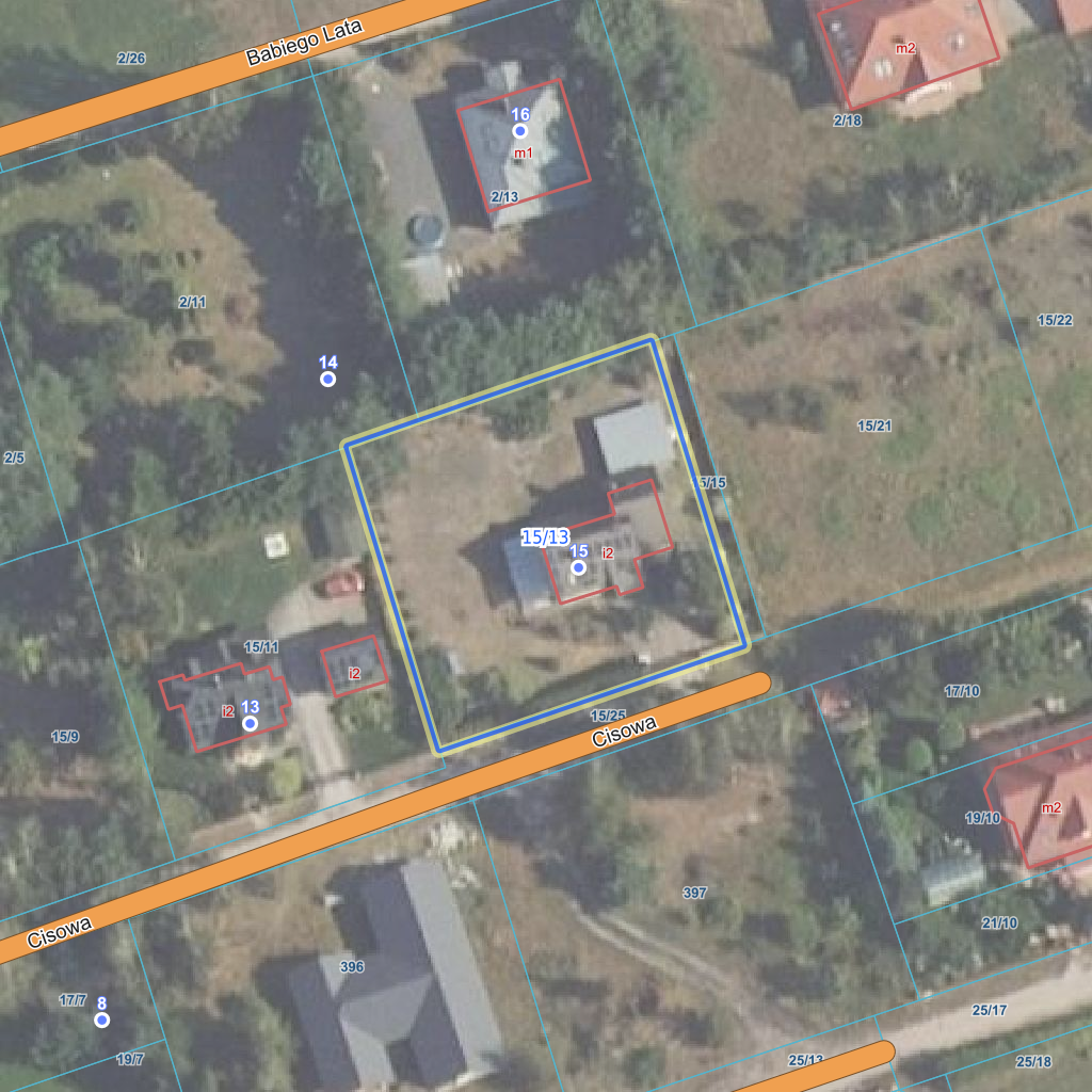
| Najbliższe otoczenie działki | |
|---|---|
![]() |
|
| Wykaz działek sąsiednich - pokaż wszystkie działki w portalu e-mapa | |
| Lp. | Działki sąsiednie | E-mapa | Raport |
|---|---|---|---|
| 1 | 143409_5.0010.15/11 | pokaż działkę | zamów raport |
| 2 | 143409_5.0010.15/15 | pokaż działkę | zamów raport |
| 3 | 143409_5.0010.15/25 | pokaż działkę | zamów raport |
| 4 | 143409_5.0010.2/11 | pokaż działkę | zamów raport |
| 5 | 143409_5.0010.2/13 | pokaż działkę | zamów raport |
| Kształt, wymiary działki i współrzędne punktów granicznych | |
|---|---|
![]() |
|
| Współrzędne punktów geograficzne oraz XY w układzie PL-1992 (EPSG:2180) | |
| Lp. | Długość | Szerokość | X (PL-1992) | Y (PL-1992) | Długość boku |
|---|---|---|---|---|---|
| 1 | 21.114151 | 52.446681 | 511 078.66 | 643 637.13 | |
| 2 | 21.114260 | 52.446702 | 511 081.20 | 643 644.44 | 7.70 |
| 3 | 21.114610 | 52.446769 | 511 089.37 | 643 668.04 | 25.00 |
| 4 | 21.114735 | 52.446489 | 511 058.42 | 643 677.46 | 32.40 |
| 5 | 21.114276 | 52.446401 | 511 047.80 | 643 646.50 | 32.70 |
| 6 | 21.114151 | 52.446681 | 511 078.66 | 643 637.13 | 32.30 |
| Zobacz wszystkie informacje | |||
|---|---|---|---|
| |||