![]() |
Raport o działce ewidencyjnej143404_1.0021.34(Informacje podstawowe - Pełny raport → dzialka.online) |
![]() |
|---|
| Numer działki | 34 |
|---|---|
| ID działki | 143404_1.0021.34 widok w portalu e-mapa |
| Obręb | 5-10-02 |
| Położenie | województwo mazowieckie, powiat wołomiński, gmina Zielonka |
| Adres | ul. Prosta 6, Zielonka (05-220) |
| Pole ewidencyjne | 0.1507 ha |
| Powierzchnia geometryczna i obwód | 1516 m2 (0.1516 ha), 170 m |
| Powierzchnia zabudowy | 330 m2 (21.8%) |
| Współrzędne i wysokość środka | X: 496578, Y: 646912, H: -9999 m (PL-1992; PL-EVRF2007-NH) |
| Grupa rejestrowa (własność) | 7 - osoby fizyczne |
| Klasoużytki | LsVI, B - lasy |
![]() | |
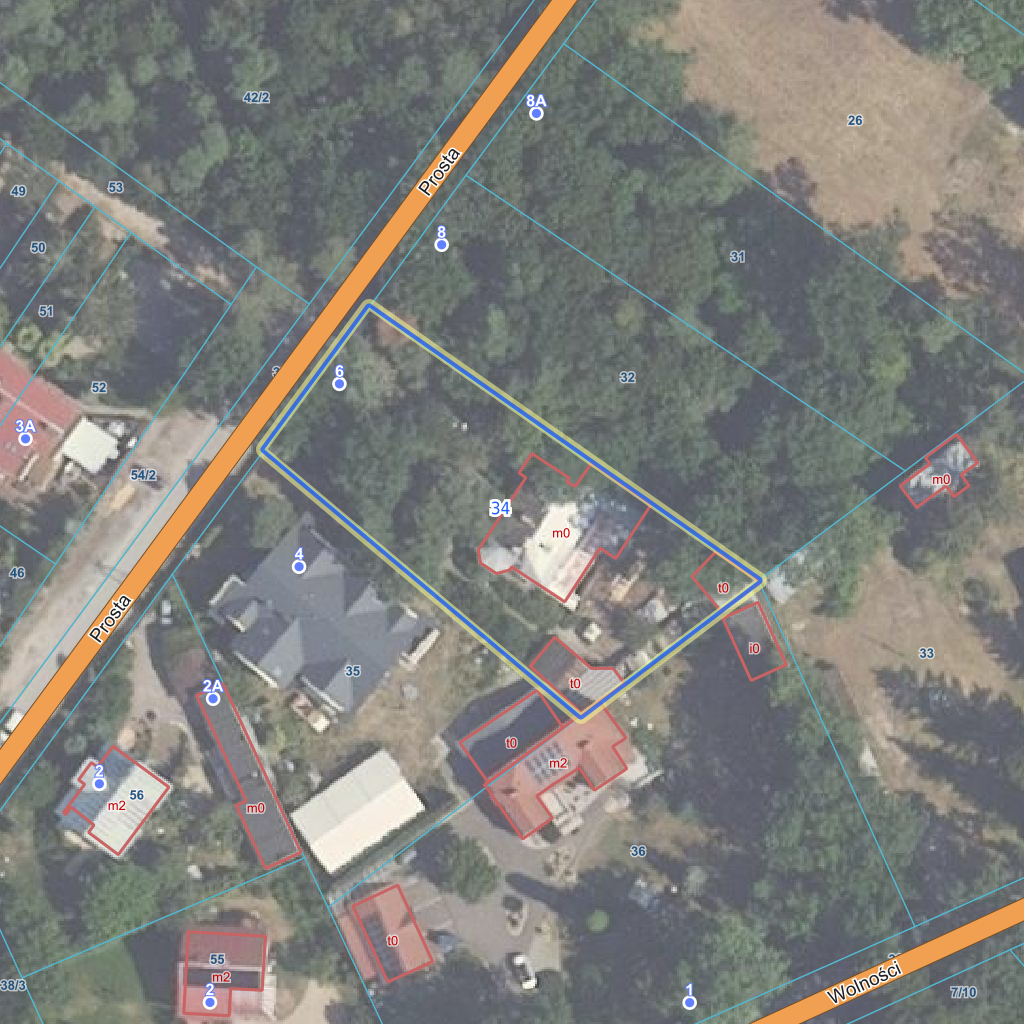
| Najbliższe otoczenie działki | |
|---|---|
![]() |
|
| Wykaz działek sąsiednich - pokaż wszystkie działki w portalu e-mapa | |
| Lp. | Działki sąsiednie | E-mapa | Raport |
|---|---|---|---|
| 1 | 143404_1.0021.32 | pokaż działkę | zamów raport |
| 2 | 143404_1.0021.33 | pokaż działkę | zamów raport |
| 3 | 143404_1.0021.35 | pokaż działkę | zamów raport |
| 4 | 143404_1.0021.36 | pokaż działkę | zamów raport |
| 5 | 143404_1.0021.39/6 | pokaż działkę | zamów raport |
| Kształt, wymiary działki i współrzędne punktów granicznych | |
|---|---|
![]() |
|
| Współrzędne punktów geograficzne oraz XY w układzie PL-1992 (EPSG:2180) | |
| Lp. | Długość | Szerokość | X (PL-1992) | Y (PL-1992) | Długość boku |
|---|---|---|---|---|---|
| 1 | 21.156457 | 52.315411 | 496 569.45 | 646 946.36 | |
| 2 | 21.156105 | 52.315257 | 496 551.62 | 646 922.89 | 29.50 |
| 3 | 21.155507 | 52.315584 | 496 586.76 | 646 881.11 | 54.60 |
| 4 | 21.155718 | 52.315749 | 496 605.50 | 646 894.93 | 23.30 |
| 5 | 21.156457 | 52.315411 | 496 569.45 | 646 946.36 | 62.80 |
| Zobacz wszystkie informacje | |||
|---|---|---|---|
| |||