![]() |
Raport o działce ewidencyjnej143204_2.0032.78/14(Informacje podstawowe - Pełny raport → dzialka.online) |
![]() |
|---|
| Numer działki | 78/14 |
|---|---|
| ID działki | 143204_2.0032.78/14 widok w portalu e-mapa |
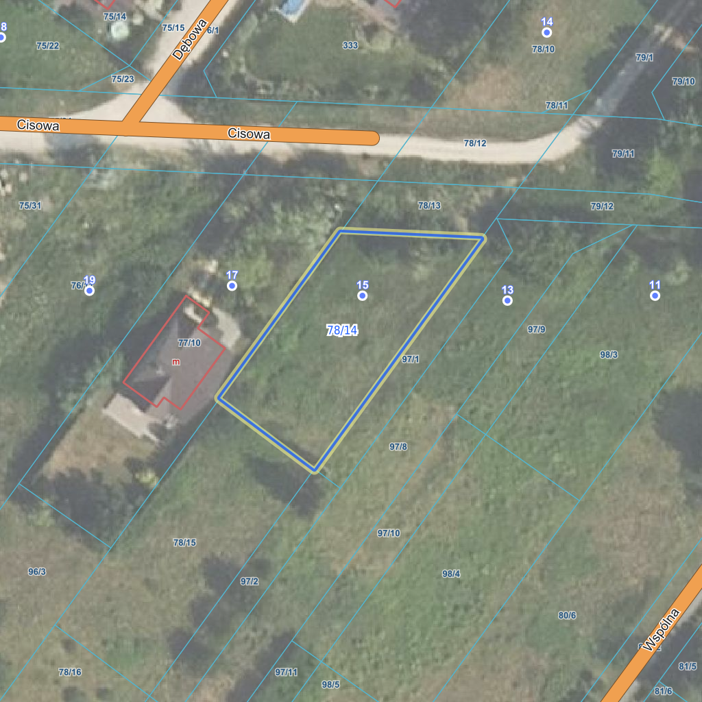
| Obręb | Wyględy |
| Położenie | województwo mazowieckie, powiat warszawski zachodni, gmina Leszno |
| Adres | ul. Cisowa 15, Wyględy (05-084) |
| Powierzchnia geometryczna i obwód | 727 m2 (0.0727 ha), 119 m |
| Współrzędne i wysokość środka | X: 489709, Y: 616498, H: 90 m (PL-1992; PL-EVRF2007-NH) |
| Grupa rejestrowa (własność) | 7 - osoby fizyczne |
![]() | |
| Najbliższe otoczenie działki | |
|---|---|
![]() |
|
| Wykaz działek sąsiednich - pokaż wszystkie działki w portalu e-mapa | |
| Lp. | Działki sąsiednie | E-mapa | Raport |
|---|---|---|---|
| 1 | 143204_2.0032.77/10 | pokaż działkę | zamów raport |
| 2 | 143204_2.0032.78/13 | pokaż działkę | zamów raport |
| 3 | 143204_2.0032.78/15 | pokaż działkę | zamów raport |
| 4 | 143204_2.0032.97/1 | pokaż działkę | zamów raport |
| 5 | 143204_2.0032.97/2 | pokaż działkę | zamów raport |
| Kształt, wymiary działki i współrzędne punktów granicznych | |
|---|---|
![]() |
|
| Współrzędne punktów geograficzne oraz XY w układzie PL-1992 (EPSG:2180) | |
| Lp. | Długość | Szerokość | X (PL-1992) | Y (PL-1992) | Długość boku |
|---|---|---|---|---|---|
| 1 | 20.707823 | 52.261188 | 489 724.65 | 616 520.15 | |
| 2 | 20.707496 | 52.261202 | 489 725.66 | 616 497.78 | 22.40 |
| 3 | 20.707207 | 52.260969 | 489 699.37 | 616 478.65 | 32.50 |
| 4 | 20.707422 | 52.260865 | 489 688.11 | 616 493.63 | 18.70 |
| 5 | 20.707823 | 52.261188 | 489 724.65 | 616 520.15 | 45.10 |
| Zobacz wszystkie informacje | |||
|---|---|---|---|
| |||