![]() |
Raport o działce ewidencyjnej142802_2.0028.148/6(Informacje podstawowe - Pełny raport → dzialka.online) |
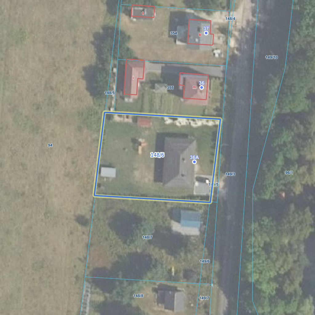
![]() |
|---|
| Numer działki | 148/6 |
|---|---|
| ID działki | 142802_2.0028.148/6 widok w portalu e-mapa |
| Obręb | TUŁOWICE |
| Położenie | województwo mazowieckie, powiat sochaczewski, gmina Brochów |
| Adres | Tułowice 36A (05-088) |
| Powierzchnia geometryczna i obwód | 1278 m2 (0.1278 ha), 145 m |
| Współrzędne i wysokość środka | X: 497935, Y: 587113, H: 69 m (PL-1992; PL-EVRF2007-NH) |
![]() | |
| Najbliższe otoczenie działki | |
|---|---|
![]() |
|
| Wykaz działek sąsiednich - pokaż wszystkie działki w portalu e-mapa | |
| Lp. | Działki sąsiednie | E-mapa | Raport |
|---|---|---|---|
| 1 | 142802_2.0028.148/5 | pokaż działkę | zamów raport |
| 2 | 142802_2.0028.148/7 | pokaż działkę | zamów raport |
| 3 | 142802_2.0028.149/5 | pokaż działkę | zamów raport |
| 4 | 142802_2.0028.149/6 | pokaż działkę | zamów raport |
| 5 | 142802_2.0028.355 | pokaż działkę | zamów raport |
| 6 | 142802_2.0028.94 | pokaż działkę | zamów raport |
| Kształt, wymiary działki i współrzędne punktów granicznych | |
|---|---|
![]() |
|
| Współrzędne punktów geograficzne oraz XY w układzie PL-1992 (EPSG:2180) | |
| Lp. | Długość | Szerokość | X (PL-1992) | Y (PL-1992) | Długość boku |
|---|---|---|---|---|---|
| 1 | 20.278835 | 52.340598 | 497 950.72 | 587 096.86 | |
| 2 | 20.278786 | 52.340600 | 497 950.92 | 587 093.55 | 3.30 |
| 3 | 20.278724 | 52.340330 | 497 920.80 | 587 089.85 | 30.30 |
| 4 | 20.279342 | 52.340301 | 497 918.31 | 587 132.00 | 42.20 |
| 5 | 20.279404 | 52.340571 | 497 948.44 | 587 135.68 | 30.30 |
| 6 | 20.278835 | 52.340598 | 497 950.72 | 587 096.86 | 38.90 |
| Zobacz wszystkie informacje | |||
|---|---|---|---|
| |||