![]() |
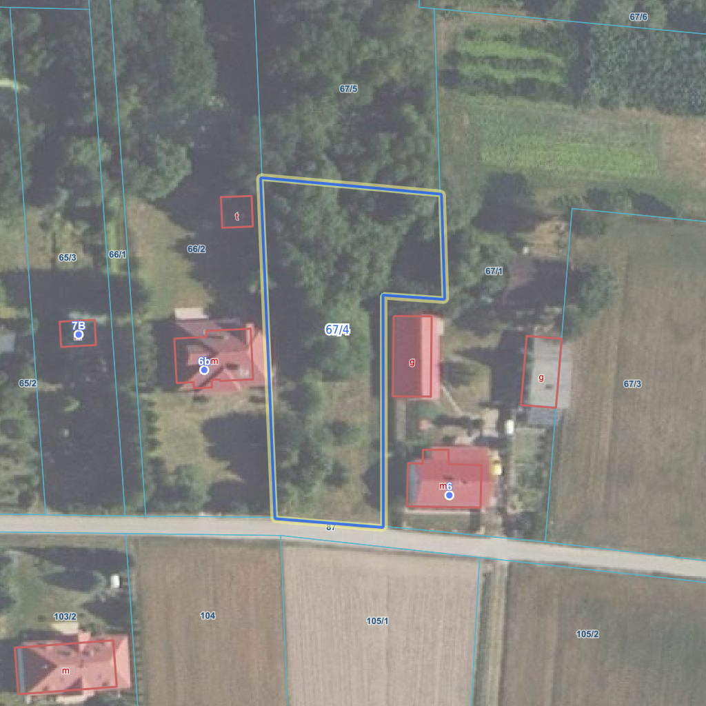
Raport o działce ewidencyjnej142802_2.0017.67/4(Informacje podstawowe - Pełny raport → dzialka.online) |
![]() |
|---|
| Numer działki | 67/4 |
|---|---|
| ID działki | 142802_2.0017.67/4 widok w portalu e-mapa |
| Obręb | ŁASICE |
| Położenie | województwo mazowieckie, powiat sochaczewski, gmina Brochów |
| Powierzchnia geometryczna i obwód | 1672 m2 (0.1672 ha), 199 m |
| Współrzędne i wysokość środka | X: 499510, Y: 586582, H: 70 m (PL-1992; PL-EVRF2007-NH) |
![]() | |
| Najbliższe otoczenie działki | |
|---|---|
![]() |
|
| Wykaz działek sąsiednich - pokaż wszystkie działki w portalu e-mapa | |
| Lp. | Działki sąsiednie | E-mapa | Raport |
|---|---|---|---|
| 1 | 142802_2.0017.66/2 | pokaż działkę | zamów raport |
| 2 | 142802_2.0017.67/1 | pokaż działkę | zamów raport |
| 3 | 142802_2.0017.67/5 | pokaż działkę | zamów raport |
| 4 | 142802_2.0017.87 | pokaż działkę | zamów raport |
| Kształt, wymiary działki i współrzędne punktów granicznych | |
|---|---|
![]() |
|
| Współrzędne punktów geograficzne oraz XY w układzie PL-1992 (EPSG:2180) | |
| Lp. | Długość | Szerokość | X (PL-1992) | Y (PL-1992) | Długość boku |
|---|---|---|---|---|---|
| 1 | 20.271473 | 52.354972 | 499 540.12 | 586 567.44 | |
| 2 | 20.271497 | 52.354379 | 499 474.23 | 586 570.22 | 65.90 |
| 3 | 20.271799 | 52.354360 | 499 472.55 | 586 590.79 | 20.60 |
| 4 | 20.271809 | 52.354768 | 499 517.85 | 586 590.73 | 45.30 |
| 5 | 20.271986 | 52.354758 | 499 517.00 | 586 602.75 | 12.10 |
| 6 | 20.271982 | 52.354938 | 499 536.97 | 586 602.12 | 20.00 |
| 7 | 20.271473 | 52.354972 | 499 540.12 | 586 567.44 | 34.80 |
| Zobacz wszystkie informacje | |||
|---|---|---|---|
| |||