![]() |
Raport o działce ewidencyjnej142010_2.0026.315/2(Informacje podstawowe - Pełny raport → dzialka.online) |
![]() |
|---|
| Numer działki | 315/2 |
|---|---|
| ID działki | 142010_2.0026.315/2 widok w portalu e-mapa |
| Obręb | KRAJKOWO |
| Położenie | województwo mazowieckie, powiat płoński, gmina Raciąż |
| Adres | Krajkowo 9 (09-140) |
| Powierzchnia geometryczna i obwód | 717 m2 (0.0717 ha), 108 m |
| Powierzchnia zabudowy | 71 m2 (9.9%) |
| Współrzędne i wysokość środka | X: 548343, Y: 581100, H: 116 m (PL-1992; PL-EVRF2007-NH) |
![]() | |
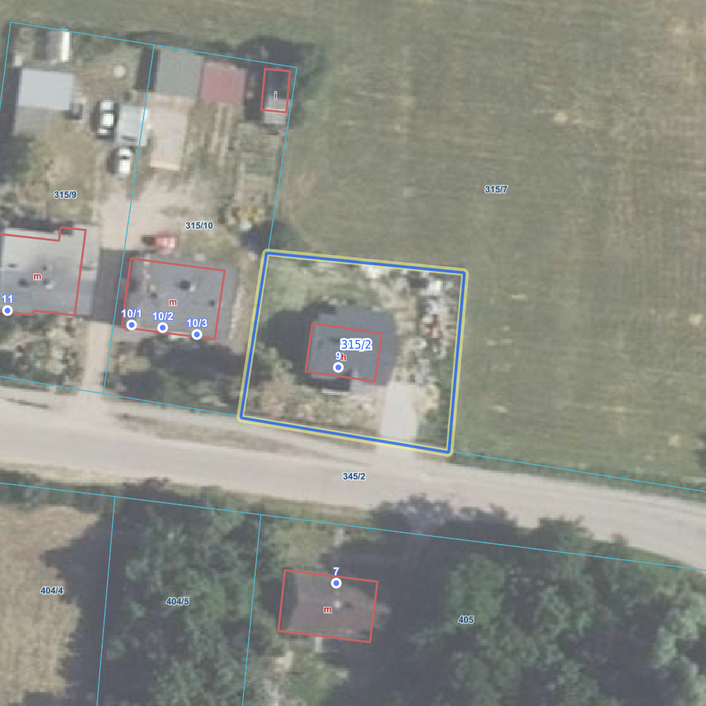
| Najbliższe otoczenie działki | |
|---|---|
![]() |
|
| Wykaz działek sąsiednich - pokaż wszystkie działki w portalu e-mapa | |
| Lp. | Działki sąsiednie | E-mapa | Raport |
|---|---|---|---|
| 1 | 142010_2.0026.315/10 | pokaż działkę | zamów raport |
| 2 | 142010_2.0026.315/7 | pokaż działkę | zamów raport |
| 3 | 142010_2.0026.345/2 | pokaż działkę | zamów raport |
| Kształt, wymiary działki i współrzędne punktów granicznych | |
|---|---|
![]() |
|
| Współrzędne punktów geograficzne oraz XY w układzie PL-1992 (EPSG:2180) | |
| Lp. | Długość | Szerokość | X (PL-1992) | Y (PL-1992) | Długość boku |
|---|---|---|---|---|---|
| 1 | 20.203338 | 52.794452 | 548 328.39 | 581 113.53 | |
| 2 | 20.203378 | 52.794681 | 548 353.88 | 581 115.75 | 25.60 |
| 3 | 20.202961 | 52.794711 | 548 356.70 | 581 087.60 | 28.30 |
| 4 | 20.202901 | 52.794501 | 548 333.30 | 581 083.95 | 23.70 |
| 5 | 20.203338 | 52.794452 | 548 328.39 | 581 113.53 | 30.00 |
| Zobacz wszystkie informacje | |||
|---|---|---|---|
| |||