![]() |
Raport o działce ewidencyjnej141908_2.0019.141/4(Informacje podstawowe - Pełny raport → dzialka.online) |
![]() |
|---|
| Numer działki | 141/4 |
|---|---|
| ID działki | 141908_2.0019.141/4 widok w portalu e-mapa |
| Obręb | PODGÓRZE WIEŚ |
| Położenie | województwo mazowieckie, powiat płocki, gmina Mała Wieś |
| Adres | Podgórze 54A (09-460) |
| Powierzchnia geometryczna i obwód | 1101 m2 (0.1101 ha), 149 m |
| Powierzchnia zabudowy | 147 m2 (13.4%) |
| Współrzędne i wysokość środka | X: 504845, Y: 569177, H: 63 m (PL-1992; PL-EVRF2007-NH) |
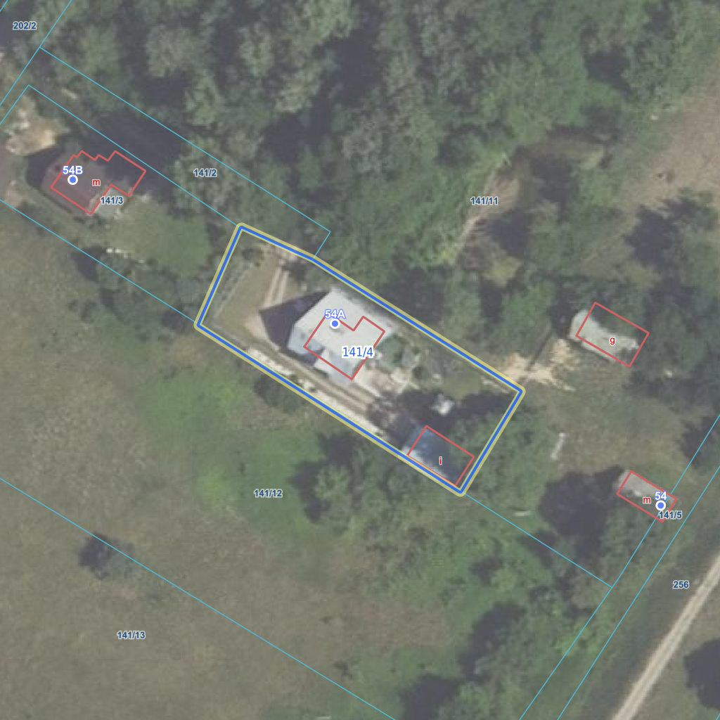
![]() | |
| Najbliższe otoczenie działki | |
|---|---|
![]() |
|
| Wykaz działek sąsiednich - pokaż wszystkie działki w portalu e-mapa | |
| Lp. | Działki sąsiednie | E-mapa | Raport |
|---|---|---|---|
| 1 | 141908_2.0019.141/11 | pokaż działkę | zamów raport |
| 2 | 141908_2.0019.141/12 | pokaż działkę | zamów raport |
| 3 | 141908_2.0019.141/2 | pokaż działkę | zamów raport |
| 4 | 141908_2.0019.141/3 | pokaż działkę | zamów raport |
| Kształt, wymiary działki i współrzędne punktów granicznych | |
|---|---|
![]() |
|
| Współrzędne punktów geograficzne oraz XY w układzie PL-1992 (EPSG:2180) | |
| Lp. | Długość | Szerokość | X (PL-1992) | Y (PL-1992) | Długość boku |
|---|---|---|---|---|---|
| 1 | 20.016899 | 52.405346 | 504 867.21 | 569 156.70 | |
| 2 | 20.016788 | 52.405195 | 504 850.37 | 569 149.36 | 18.40 |
| 3 | 20.017452 | 52.404928 | 504 821.32 | 569 194.98 | 54.10 |
| 4 | 20.017609 | 52.405083 | 504 838.67 | 569 205.40 | 20.20 |
| 5 | 20.017080 | 52.405294 | 504 861.60 | 569 169.05 | 43.00 |
| 6 | 20.016899 | 52.405346 | 504 867.21 | 569 156.70 | 13.60 |
| Zobacz wszystkie informacje | |||
|---|---|---|---|
| |||