![]() |
Raport o działce ewidencyjnej141507_2.0010.994(Informacje podstawowe - Pełny raport → dzialka.online) |
![]() |
|---|
| Numer działki | 994 |
|---|---|
| ID działki | 141507_2.0010.994 widok w portalu e-mapa |
| Obręb | ŁYSE |
| Położenie | województwo mazowieckie, powiat ostrołęcki, gmina Łyse |
| Pole ewidencyjne | 0.0474 ha |
| Powierzchnia geometryczna i obwód | 474 m2 (0.0474 ha), 97 m |
| Współrzędne i wysokość środka | X: 613951, Y: 669635, H: 118 m (PL-1992; PL-EVRF2007-NH) |
| Grupa rejestrowa (własność) | 7 - osoby fizyczne |
| Klasoużytki | RVI - orne |
![]() | |
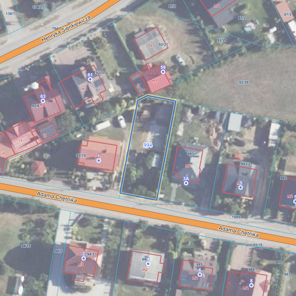
| Najbliższe otoczenie działki | |
|---|---|
![]() |
|
| Wykaz działek sąsiednich - pokaż wszystkie działki w portalu e-mapa | |
| Lp. | Działki sąsiednie | E-mapa | Raport |
|---|---|---|---|
| 1 | 141507_2.0010.1005 | pokaż działkę | zamów raport |
| 2 | 141507_2.0010.92/10 | pokaż działkę | zamów raport |
| 3 | 141507_2.0010.92/29 | pokaż działkę | zamów raport |
| 4 | 141507_2.0010.92/7 | pokaż działkę | zamów raport |
| 5 | 141507_2.0010.993/1 | pokaż działkę | zamów raport |
| Kształt, wymiary działki i współrzędne punktów granicznych | |
|---|---|
![]() |
|
| Współrzędne punktów geograficzne oraz XY w układzie PL-1992 (EPSG:2180) | |
| Lp. | Długość | Szerokość | X (PL-1992) | Y (PL-1992) | Długość boku |
|---|---|---|---|---|---|
| 1 | 21.550319 | 53.363533 | 613 967.81 | 669 644.80 | |
| 2 | 21.550171 | 53.363553 | 613 969.74 | 669 634.85 | 10.10 |
| 3 | 21.550118 | 53.363539 | 613 967.96 | 669 631.41 | 3.90 |
| 4 | 21.550005 | 53.363242 | 613 934.70 | 669 625.03 | 33.90 |
| 5 | 21.550197 | 53.363215 | 613 932.20 | 669 637.94 | 13.20 |
| 6 | 21.550319 | 53.363533 | 613 967.81 | 669 644.80 | 36.30 |
| Zobacz wszystkie informacje | |||
|---|---|---|---|
| |||