![]() |
Raport o działce ewidencyjnej141507_2.0010.2150/3(Informacje podstawowe - Pełny raport → dzialka.online) |
![]() |
|---|
| Numer działki | 2150/3 |
|---|---|
| ID działki | 141507_2.0010.2150/3 widok w portalu e-mapa |
| Obręb | ŁYSE |
| Położenie | województwo mazowieckie, powiat ostrołęcki, gmina Łyse |
| Pole ewidencyjne | 0.0279 ha |
| Powierzchnia geometryczna i obwód | 279 m2 (0.0279 ha), 141 m |
| Współrzędne i wysokość środka | X: 612144, Y: 671798, H: 117 m (PL-1992; PL-EVRF2007-NH) |
| Grupa rejestrowa (własność) | 1 - Skarb Państwa (bez zbiegu z użytkownikami wieczystymi) |
| Klasoużytki | dr - drogi |
![]() | |
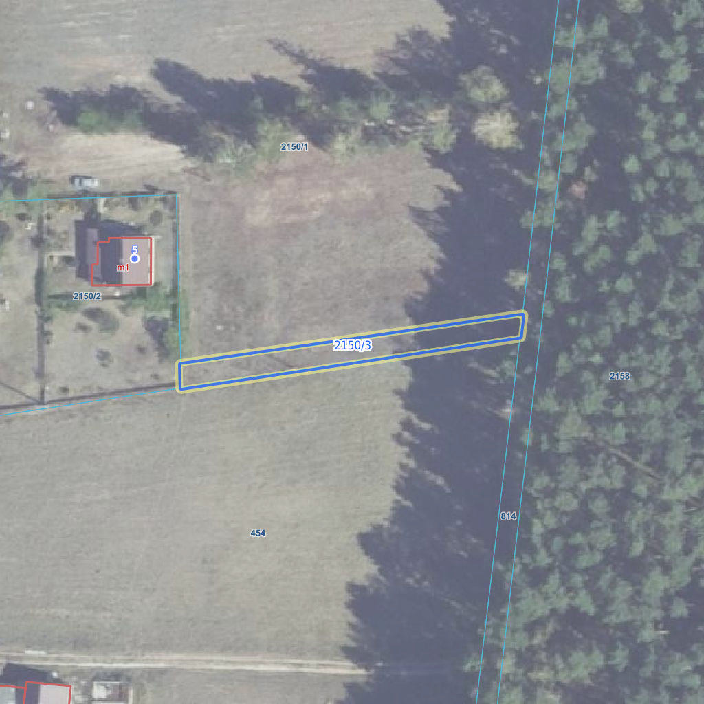
| Najbliższe otoczenie działki | |
|---|---|
![]() |
|
| Wykaz działek sąsiednich - pokaż wszystkie działki w portalu e-mapa | |
| Lp. | Działki sąsiednie | E-mapa | Raport |
|---|---|---|---|
| 1 | 141507_2.0010.2150/1 | pokaż działkę | zamów raport |
| 2 | 141507_2.0010.2150/2 | pokaż działkę | zamów raport |
| 3 | 141507_2.0010.454 | pokaż działkę | zamów raport |
| 4 | 141507_2.0010.814 | pokaż działkę | zamów raport |
| Kształt, wymiary działki i współrzędne punktów granicznych | |
|---|---|
![]() |
|
| Współrzędne punktów geograficzne oraz XY w układzie PL-1992 (EPSG:2180) | |
| Lp. | Długość | Szerokość | X (PL-1992) | Y (PL-1992) | Długość boku |
|---|---|---|---|---|---|
| 1 | 21.581177 | 53.346407 | 612 137.49 | 671 765.89 | |
| 2 | 21.582164 | 53.346475 | 612 147.40 | 671 831.29 | 66.10 |
| 3 | 21.582173 | 53.346511 | 612 151.47 | 671 831.75 | 4.10 |
| 4 | 21.581178 | 53.346447 | 612 141.95 | 671 765.77 | 66.70 |
| 5 | 21.581177 | 53.346407 | 612 137.49 | 671 765.89 | 4.50 |
| Zobacz wszystkie informacje | |||
|---|---|---|---|
| |||