![]() |
Raport o działce ewidencyjnej141503_2.0010.10/2(Informacje podstawowe - Pełny raport → dzialka.online) |
![]() |
|---|
| Numer działki | 10/2 |
|---|---|
| ID działki | 141503_2.0010.10/2 widok w portalu e-mapa |
| Obręb | FILOCHY |
| Położenie | województwo mazowieckie, powiat ostrołęcki, gmina Czerwin |
| Adres | Filochy 9 (07-407) |
| Pole ewidencyjne | 0.3400 ha |
| Powierzchnia geometryczna i obwód | 3315 m2 (0.3315 ha), 288 m |
| Powierzchnia zabudowy | 484 m2 (14.6%) |
| Współrzędne i wysokość środka | X: 573077, Y: 690108, H: 115 m (PL-1992; PL-EVRF2007-NH) |
| Grupa rejestrowa (własność) | 7 - osoby fizyczne |
| Klasoużytki | Br/RV - rolne zabudowane |
![]() | |
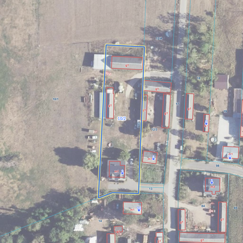
| Najbliższe otoczenie działki | |
|---|---|
![]() |
|
| Wykaz działek sąsiednich - pokaż wszystkie działki w portalu e-mapa | |
| Lp. | Działki sąsiednie | E-mapa | Raport |
|---|---|---|---|
| 1 | 141503_2.0010.10/1 | pokaż działkę | zamów raport |
| 2 | 141503_2.0010.12/1 | pokaż działkę | zamów raport |
| 3 | 141503_2.0010.12/3 | pokaż działkę | zamów raport |
| 4 | 141503_2.0010.12/4 | pokaż działkę | zamów raport |
| 5 | 141503_2.0010.13 | pokaż działkę | zamów raport |
| 6 | 141503_2.0010.14 | pokaż działkę | zamów raport |
| Kształt, wymiary działki i współrzędne punktów granicznych | |
|---|---|
![]() |
|
| Współrzędne punktów geograficzne oraz XY w układzie PL-1992 (EPSG:2180) | |
| Lp. | Długość | Szerokość | X (PL-1992) | Y (PL-1992) | Długość boku |
|---|---|---|---|---|---|
| 1 | 21.833388 | 52.988874 | 573 025.92 | 690 120.25 | |
| 2 | 21.833392 | 52.988901 | 573 028.91 | 690 120.37 | 3.00 |
| 3 | 21.833486 | 52.989613 | 573 108.36 | 690 123.53 | 79.50 |
| 4 | 21.833515 | 52.989834 | 573 133.01 | 690 124.52 | 24.70 |
| 5 | 21.833089 | 52.989858 | 573 134.51 | 690 095.85 | 28.70 |
| 6 | 21.832932 | 52.988812 | 573 017.79 | 690 089.89 | 116.90 |
| 7 | 21.833085 | 52.988844 | 573 021.76 | 690 100.06 | 10.90 |
| 8 | 21.833383 | 52.988831 | 573 021.13 | 690 120.07 | 20.00 |
| 9 | 21.833388 | 52.988874 | 573 025.92 | 690 120.25 | 4.80 |
| Zobacz wszystkie informacje | |||
|---|---|---|---|
| |||