![]() |
Raport o działce ewidencyjnej141503_2.0004.111(Informacje podstawowe - Pełny raport → dzialka.online) |
![]() |
|---|
| Numer działki | 111 |
|---|---|
| ID działki | 141503_2.0004.111 widok w portalu e-mapa |
| Obręb | CHOROMANY-WITNICE |
| Położenie | województwo mazowieckie, powiat ostrołęcki, gmina Czerwin |
| Pole ewidencyjne | 0.0900 ha |
| Powierzchnia geometryczna i obwód | 1192 m2 (0.1192 ha), 156 m |
| Współrzędne i wysokość środka | X: 571599, Y: 692430, H: 114 m (PL-1992; PL-EVRF2007-NH) |
| Grupa rejestrowa (własność) | 7 - osoby fizyczne |
| Klasoużytki | PsVI - pastwiska |
![]() | |
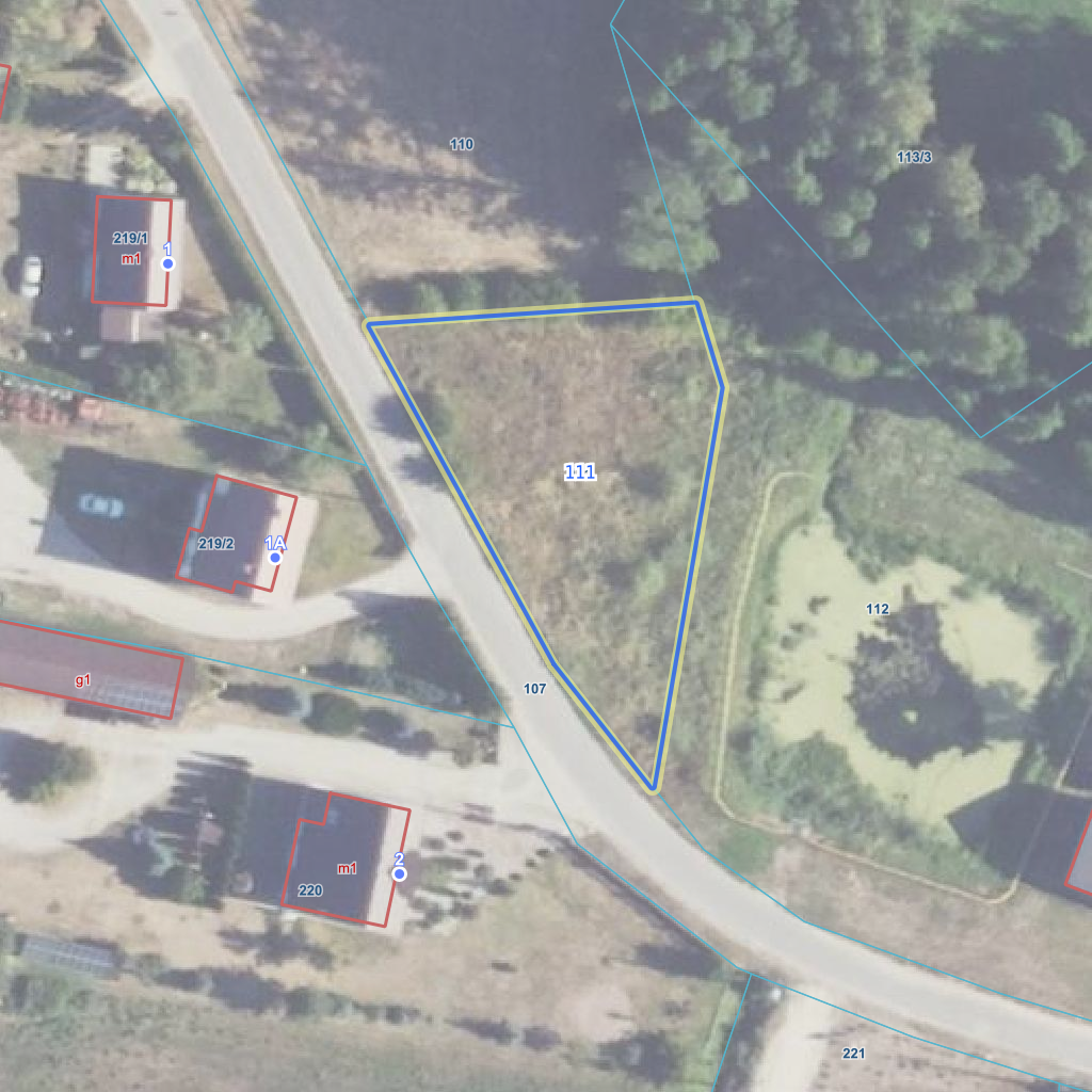
| Najbliższe otoczenie działki | |
|---|---|
![]() |
|
| Wykaz działek sąsiednich - pokaż wszystkie działki w portalu e-mapa | |
| Lp. | Działki sąsiednie | E-mapa | Raport |
|---|---|---|---|
| 1 | 141503_2.0004.107 | pokaż działkę | zamów raport |
| 2 | 141503_2.0004.110 | pokaż działkę | zamów raport |
| 3 | 141503_2.0004.112 | pokaż działkę | zamów raport |
| Kształt, wymiary działki i współrzędne punktów granicznych | |
|---|---|
![]() |
|
| Współrzędne punktów geograficzne oraz XY w układzie PL-1992 (EPSG:2180) | |
| Lp. | Długość | Szerokość | X (PL-1992) | Y (PL-1992) | Długość boku |
|---|---|---|---|---|---|
| 1 | 21.866865 | 52.975047 | 571 578.05 | 692 427.47 | |
| 2 | 21.867022 | 52.974916 | 571 563.89 | 692 438.59 | 18.00 |
| 3 | 21.867165 | 52.975324 | 571 609.61 | 692 446.38 | 46.40 |
| 4 | 21.867128 | 52.975411 | 571 619.18 | 692 443.49 | 10.00 |
| 5 | 21.866572 | 52.975402 | 571 616.71 | 692 406.22 | 37.30 |
| 6 | 21.866865 | 52.975047 | 571 578.05 | 692 427.47 | 44.10 |
| Zobacz wszystkie informacje | |||
|---|---|---|---|
| |||