![]() |
Raport o działce ewidencyjnej141110_2.0004.58(Informacje podstawowe - Pełny raport → dzialka.online) |
![]() |
|---|
| Numer działki | 58 |
|---|---|
| ID działki | 141110_2.0004.58 widok w portalu e-mapa |
| Obręb | CIEPIELEWO |
| Położenie | województwo mazowieckie, powiat makowski, gmina Szelków |
| Adres | Ciepielewo 41 (06-220) |
| Pole ewidencyjne | 0.0700 ha |
| Powierzchnia geometryczna i obwód | 750 m2 (0.075 ha), 112 m |
| Współrzędne i wysokość środka | X: 554007, Y: 644386, H: 97 m (PL-1992; PL-EVRF2007-NH) |
| Grupa rejestrowa (własność) | 7 - osoby fizyczne |
| Klasoużytki | Br/RIIIa - rolne zabudowane |
![]() | |
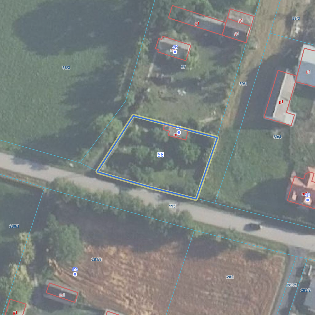
| Najbliższe otoczenie działki | |
|---|---|
![]() |
|
| Wykaz działek sąsiednich - pokaż wszystkie działki w portalu e-mapa | |
| Lp. | Działki sąsiednie | E-mapa | Raport |
|---|---|---|---|
| 1 | 141110_2.0004.195 | pokaż działkę | zamów raport |
| 2 | 141110_2.0004.57 | pokaż działkę | zamów raport |
| 3 | 141110_2.0004.59/1 | pokaż działkę | zamów raport |
| Kształt, wymiary działki i współrzędne punktów granicznych | |
|---|---|
![]() |
|
| Współrzędne punktów geograficzne oraz XY w układzie PL-1992 (EPSG:2180) | |
| Lp. | Długość | Szerokość | X (PL-1992) | Y (PL-1992) | Długość boku |
|---|---|---|---|---|---|
| 1 | 21.144257 | 52.832310 | 554 013.58 | 644 406.39 | |
| 2 | 21.143823 | 52.832387 | 554 021.30 | 644 376.90 | 30.50 |
| 3 | 21.143626 | 52.832215 | 554 001.74 | 644 364.20 | 23.30 |
| 4 | 21.143898 | 52.832162 | 553 996.36 | 644 382.70 | 19.30 |
| 5 | 21.144137 | 52.832120 | 553 992.20 | 644 398.95 | 16.80 |
| 6 | 21.144257 | 52.832310 | 554 013.58 | 644 406.39 | 22.60 |
| Zobacz wszystkie informacje | |||
|---|---|---|---|
| |||