![]() |
Raport o działce ewidencyjnej141102_2.0026.670/2(Informacje podstawowe - Pełny raport → dzialka.online) |
![]() |
|---|
| Numer działki | 670/2 |
|---|---|
| ID działki | 141102_2.0026.670/2 widok w portalu e-mapa |
| Obręb | ULASKI |
| Położenie | województwo mazowieckie, powiat makowski, gmina Czerwonka |
| Pole ewidencyjne | 0.0835 ha |
| Powierzchnia geometryczna i obwód | 960 m2 (0.096 ha), 222 m |
| Współrzędne i wysokość środka | X: 560996, Y: 642693, H: -9999 m (PL-1992; PL-EVRF2007-NH) |
| Grupa rejestrowa (własność) | 7 - osoby fizyczne |
| Klasoużytki | ŁV - |
![]() | |
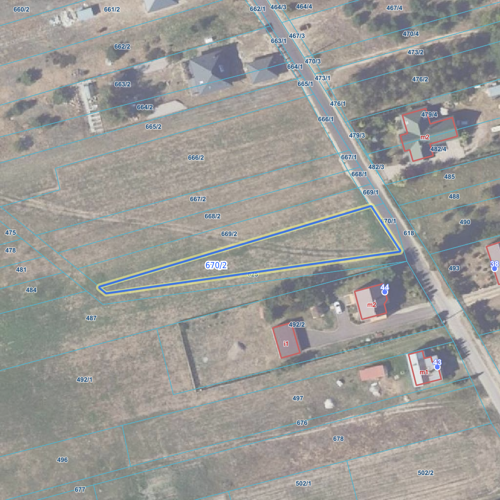
| Najbliższe otoczenie działki | |
|---|---|
![]() |
|
| Wykaz działek sąsiednich - pokaż wszystkie działki w portalu e-mapa | |
| Lp. | Działki sąsiednie | E-mapa | Raport |
|---|---|---|---|
| 1 | 141102_2.0026.625 | pokaż działkę | zamów raport |
| 2 | 141102_2.0026.669/1 | pokaż działkę | zamów raport |
| 3 | 141102_2.0026.669/2 | pokaż działkę | zamów raport |
| 4 | 141102_2.0026.670/1 | pokaż działkę | zamów raport |
| Kształt, wymiary działki i współrzędne punktów granicznych | |
|---|---|
![]() |
|
| Współrzędne punktów geograficzne oraz XY w układzie PL-1992 (EPSG:2180) | |
| Lp. | Długość | Szerokość | X (PL-1992) | Y (PL-1992) | Długość boku |
|---|---|---|---|---|---|
| 1 | 21.122373 | 52.895640 | 561 011.17 | 642 724.73 | |
| 2 | 21.120960 | 52.895413 | 560 983.18 | 642 630.46 | 98.30 |
| 3 | 21.120991 | 52.895397 | 560 981.45 | 642 632.60 | 2.80 |
| 4 | 21.122514 | 52.895500 | 560 995.96 | 642 734.65 | 103.10 |
| 5 | 21.122373 | 52.895640 | 561 011.17 | 642 724.73 | 18.20 |
| Zobacz wszystkie informacje | |||
|---|---|---|---|
| |||