![]() |
Raport o działce ewidencyjnej121803_5.0001.1931(Informacje podstawowe - Pełny raport → dzialka.online) |
![]() |
|---|
| Numer działki | 1931 |
|---|---|
| ID działki | 121803_5.0001.1931 widok w portalu e-mapa |
| Obręb | Barwałd Górny |
| Położenie | województwo małopolskie, powiat wadowicki, gmina Kalwaria Zebrzydowska |
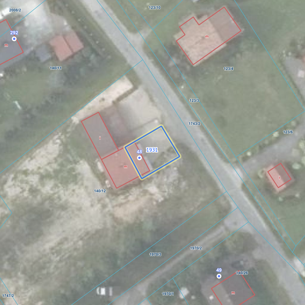
| Adres | Barwałd Górny 48 (34-130) |
| Powierzchnia geometryczna i obwód | 110 m2 (0.011 ha), 42 m |
| Powierzchnia zabudowy | 26 m2 (23.6%) |
| Współrzędne i wysokość środka | X: 222715, Y: 545393, H: 324 m (PL-1992; PL-EVRF2007-NH) |
| Grupa rejestrowa (własność) | 7 - osoby fizyczne |
![]() | |
| Najbliższe otoczenie działki | |
|---|---|
![]() |
|
| Wykaz działek sąsiednich - pokaż wszystkie działki w portalu e-mapa | |
| Lp. | Działki sąsiednie | E-mapa | Raport |
|---|---|---|---|
| 1 | 121803_5.0001.140/12 | pokaż działkę | zamów raport |
| Kształt, wymiary działki i współrzędne punktów granicznych | |
|---|---|
![]() |
|
| Współrzędne punktów geograficzne oraz XY w układzie PL-1992 (EPSG:2180) | |
| Lp. | Długość | Szerokość | X (PL-1992) | Y (PL-1992) | Długość boku |
|---|---|---|---|---|---|
| 1 | 19.631914 | 49.870109 | 222 722.46 | 545 395.52 | |
| 2 | 19.631776 | 49.870058 | 222 716.75 | 545 385.70 | 11.40 |
| 3 | 19.631838 | 49.869982 | 222 708.33 | 545 390.20 | 9.50 |
| 4 | 19.631981 | 49.870035 | 222 714.31 | 545 400.42 | 11.80 |
| 5 | 19.631914 | 49.870109 | 222 722.46 | 545 395.52 | 9.50 |
| Zobacz wszystkie informacje | |||
|---|---|---|---|
| |||