![]() |
Raport o działce ewidencyjnej120710_2.0004.367(Informacje podstawowe - Pełny raport → dzialka.online) |
![]() |
|---|
| Numer działki | 367 |
|---|---|
| ID działki | 120710_2.0004.367 widok w portalu e-mapa |
| Obręb | Poręba Wielka |
| Położenie | województwo małopolskie, powiat limanowski, gmina Niedźwiedź |
| Adres | Poręba Wielka 144 (34-735) |
| Powierzchnia geometryczna i obwód | 1040 m2 (0.104 ha), 168 m |
| Współrzędne i wysokość środka | X: 194676, Y: 577690, H: 557 m (PL-1992; PL-EVRF2007-NH) |
| Grupa rejestrowa (własność) | 7 - osoby fizyczne |
![]() | |
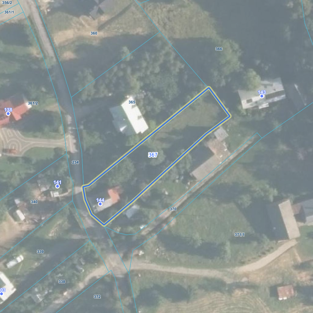
| Najbliższe otoczenie działki | |
|---|---|
![]() |
|
| Wykaz działek sąsiednich - pokaż wszystkie działki w portalu e-mapa | |
| Lp. | Działki sąsiednie | E-mapa | Raport |
|---|---|---|---|
| 1 | 120710_2.0004.234 | pokaż działkę | zamów raport |
| 2 | 120710_2.0004.365 | pokaż działkę | zamów raport |
| 3 | 120710_2.0004.366 | pokaż działkę | zamów raport |
| Kształt, wymiary działki i współrzędne punktów granicznych | |
|---|---|
![]() |
|
| Współrzędne punktów geograficzne oraz XY w układzie PL-1992 (EPSG:2180) | |
| Lp. | Długość | Szerokość | X (PL-1992) | Y (PL-1992) | Długość boku |
|---|---|---|---|---|---|
| 1 | 20.075399 | 49.614381 | 194 663.09 | 577 661.36 | |
| 2 | 20.075411 | 49.614336 | 194 658.05 | 577 662.27 | 5.10 |
| 3 | 20.075445 | 49.614281 | 194 652.01 | 577 664.83 | 6.60 |
| 4 | 20.075513 | 49.614242 | 194 647.71 | 577 669.84 | 6.60 |
| 5 | 20.075675 | 49.614328 | 194 657.38 | 577 681.37 | 15.00 |
| 6 | 20.076107 | 49.614577 | 194 685.50 | 577 712.17 | 41.70 |
| 7 | 20.076245 | 49.614641 | 194 692.79 | 577 722.00 | 12.20 |
| 8 | 20.076130 | 49.614746 | 194 704.30 | 577 713.55 | 14.30 |
| 9 | 20.075817 | 49.614584 | 194 686.07 | 577 691.18 | 28.90 |
| 10 | 20.075430 | 49.614386 | 194 663.62 | 577 663.58 | 35.60 |
| 11 | 20.075399 | 49.614381 | 194 663.09 | 577 661.36 | 2.30 |
| Zobacz wszystkie informacje | |||
|---|---|---|---|
| |||