![]() |
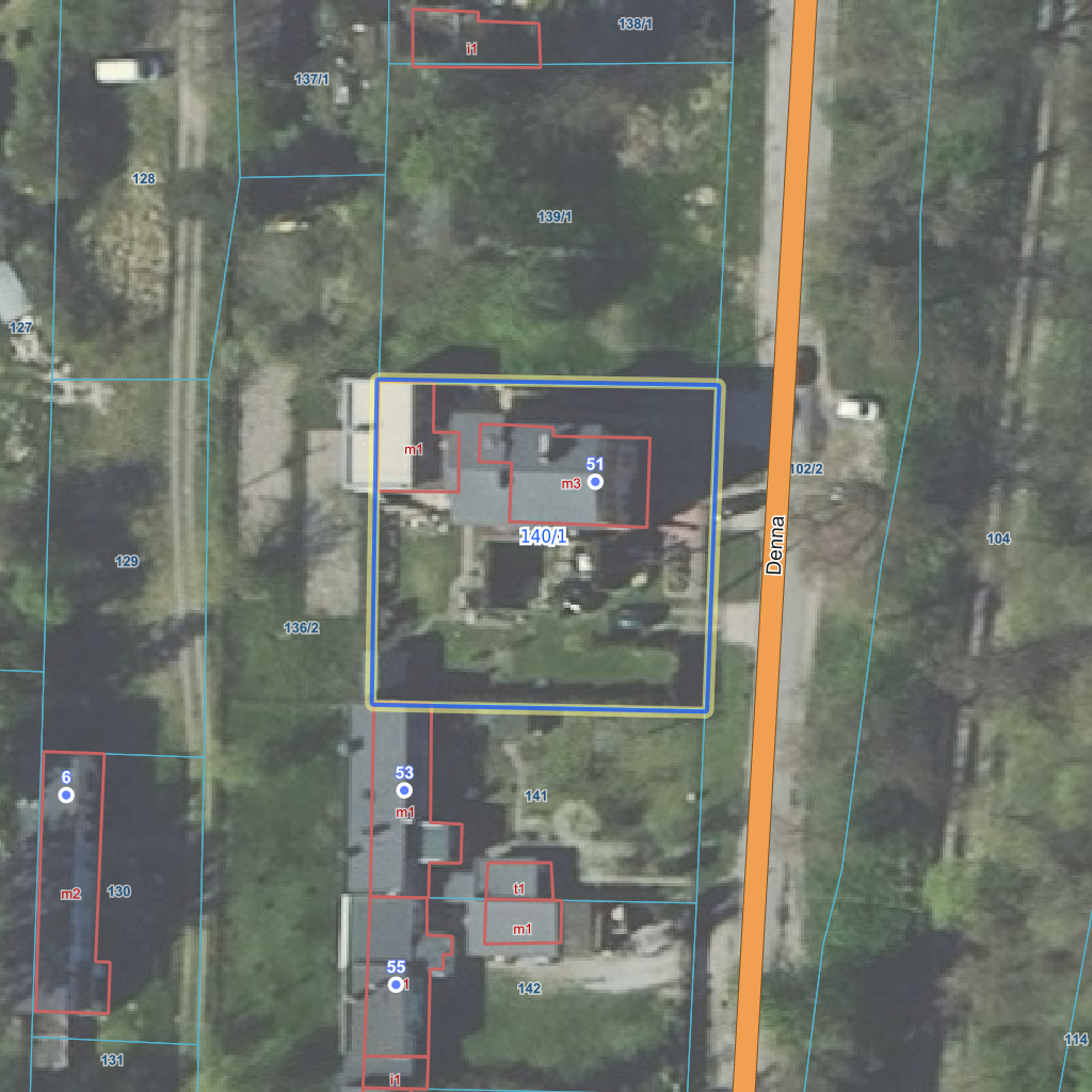
Raport o działce ewidencyjnej106104_9.0035.140/1(Informacje podstawowe - Pełny raport → dzialka.online) |
![]() |
|---|
| Numer działki | 140/1 |
|---|---|
| ID działki | 106104_9.0035.140/1 widok w portalu e-mapa |
| Obręb | P-35 |
| Położenie | województwo łódzkie, powiat Łódź, gmina Łódź |
| Adres | ul. Denna 51, Łódź (94-110) |
| Pole ewidencyjne | 0.0941 ha |
| Powierzchnia geometryczna i obwód | 940 m2 (0.094 ha), 123 m |
| Powierzchnia zabudowy | 171 m2 (18.2%) |
| Współrzędne i wysokość środka | X: 430252, Y: 528699, H: 181 m (PL-1992; PL-EVRF2007-NH) |
| Grupa rejestrowa (własność) | 7 - osoby fizyczne |
| Klasoużytki | B - mieszkaniowe |
![]() | |
| Najbliższe otoczenie działki | |
|---|---|
![]() |
|
| Wykaz działek sąsiednich - pokaż wszystkie działki w portalu e-mapa | |
| Lp. | Działki sąsiednie | E-mapa | Raport |
|---|---|---|---|
| 1 | 106104_9.0035.136/2 | pokaż działkę | zamów raport |
| 2 | 106104_9.0035.139/1 | pokaż działkę | zamów raport |
| 3 | 106104_9.0035.141 | pokaż działkę | zamów raport |
| 4 | 106104_9.0036.102/2 | pokaż działkę | zamów raport |
| Kształt, wymiary działki i współrzędne punktów granicznych | |
|---|---|
![]() |
|
| Współrzędne punktów geograficzne oraz XY w układzie PL-1992 (EPSG:2180) | |
| Lp. | Długość | Szerokość | X (PL-1992) | Y (PL-1992) | Długość boku |
|---|---|---|---|---|---|
| 1 | 19.415965 | 51.737790 | 430 236.67 | 528 714.07 | |
| 2 | 19.415984 | 51.738060 | 430 266.79 | 528 715.20 | 30.10 |
| 3 | 19.415526 | 51.738067 | 430 267.32 | 528 683.62 | 31.60 |
| 4 | 19.415517 | 51.737797 | 430 237.32 | 528 683.15 | 30.00 |
| 5 | 19.415965 | 51.737790 | 430 236.67 | 528 714.07 | 30.90 |
| Zobacz wszystkie informacje | |||
|---|---|---|---|
| |||