![]() |
Raport o działce ewidencyjnej080602_5.0015.32(Informacje podstawowe - Pełny raport → dzialka.online) |
![]() |
|---|
| Numer działki | 32 |
|---|---|
| ID działki | 080602_5.0015.32 widok w portalu e-mapa |
| Obręb | TRZEBICZ NOWY |
| Położenie | województwo lubuskie, powiat strzelecko-drezdenecki, gmina Drezdenko |
| Powierzchnia geometryczna i obwód | 127 m2 (0.0127 ha), 92 m |
| Współrzędne i wysokość środka | X: 553871, Y: 283851, H: 35 m (PL-1992; PL-EVRF2007-NH) |
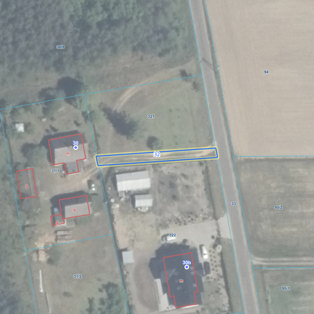
![]() | |
| Najbliższe otoczenie działki | |
|---|---|
![]() |
|
| Wykaz działek sąsiednich - pokaż wszystkie działki w portalu e-mapa | |
| Lp. | Działki sąsiednie | E-mapa | Raport |
|---|---|---|---|
| 1 | 080602_5.0015.31/1 | pokaż działkę | zamów raport |
| 2 | 080602_5.0015.321 | pokaż działkę | zamów raport |
| 3 | 080602_5.0015.322 | pokaż działkę | zamów raport |
| 4 | 080602_5.0015.33 | pokaż działkę | zamów raport |
| Kształt, wymiary działki i współrzędne punktów granicznych | |
|---|---|
![]() |
|
| Współrzędne punktów geograficzne oraz XY w układzie PL-1992 (EPSG:2180) | |
| Lp. | Długość | Szerokość | X (PL-1992) | Y (PL-1992) | Długość boku |
|---|---|---|---|---|---|
| 1 | 15.791740 | 52.807018 | 553 870.67 | 283 828.95 | |
| 2 | 15.791751 | 52.806992 | 553 867.74 | 283 829.55 | 3.00 |
| 3 | 15.792381 | 52.807035 | 553 870.66 | 283 872.22 | 42.80 |
| 4 | 15.792371 | 52.807061 | 553 873.60 | 283 871.68 | 3.00 |
| 5 | 15.791740 | 52.807018 | 553 870.67 | 283 828.95 | 42.80 |
| Zobacz wszystkie informacje | |||
|---|---|---|---|
| |||