![]() |
Raport o działce ewidencyjnej061908_2.0010.2170(Informacje podstawowe - Pełny raport → dzialka.online) |
![]() |
|---|
| Numer działki | 2170 |
|---|---|
| ID działki | 061908_2.0010.2170 widok w portalu e-mapa |
| Obręb | WYRYKI |
| Położenie | województwo lubelskie, powiat włodawski, gmina Wyryki |
| Adres | Wyryki-Połód 216 (22-205) |
| Pole ewidencyjne | 0.18 ha |
| Powierzchnia geometryczna i obwód | 1830 m2 (0.183 ha), 224 m |
| Powierzchnia zabudowy | 406 m2 (22.2%) |
| Współrzędne i wysokość środka | X: 419721, Y: 803707, H: 176 m (PL-1992; PL-EVRF2007-NH) |
| Grupa rejestrowa (własność) | 7 - osoby fizyczne |
| Klasoużytki | RIVb, Br-RIVb - orne |
![]() | |
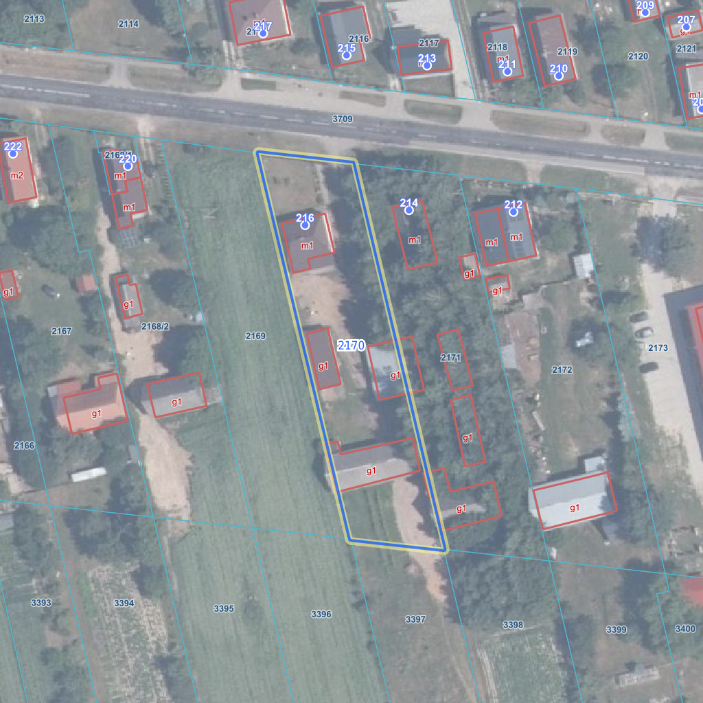
| Najbliższe otoczenie działki | |
|---|---|
![]() |
|
| Wykaz działek sąsiednich - pokaż wszystkie działki w portalu e-mapa | |
| Lp. | Działki sąsiednie | E-mapa | Raport |
|---|---|---|---|
| 1 | 061908_2.0010.2169 | pokaż działkę | zamów raport |
| 2 | 061908_2.0010.2171 | pokaż działkę | zamów raport |
| 3 | 061908_2.0010.3396 | pokaż działkę | zamów raport |
| 4 | 061908_2.0010.3397 | pokaż działkę | zamów raport |
| 5 | 061908_2.0010.3398 | pokaż działkę | zamów raport |
| 6 | 061908_2.0010.3709 | pokaż działkę | zamów raport |
| Kształt, wymiary działki i współrzędne punktów granicznych | |
|---|---|
![]() |
|
| Współrzędne punktów geograficzne oraz XY w układzie PL-1992 (EPSG:2180) | |
| Lp. | Długość | Szerokość | X (PL-1992) | Y (PL-1992) | Długość boku |
|---|---|---|---|---|---|
| 1 | 23.383572 | 51.561637 | 419 677.71 | 803 706.69 | |
| 2 | 23.383346 | 51.562439 | 419 765.79 | 803 685.64 | 90.60 |
| 3 | 23.383652 | 51.562406 | 419 763.40 | 803 707.10 | 21.60 |
| 4 | 23.383876 | 51.561605 | 419 675.36 | 803 727.91 | 90.50 |
| 5 | 23.383572 | 51.561637 | 419 677.71 | 803 706.69 | 21.30 |
| Zobacz wszystkie informacje | |||
|---|---|---|---|
| |||