![]() |
Raport o działce ewidencyjnej061606_2.0010.600(Informacje podstawowe - Pełny raport → dzialka.online) |
![]() |
|---|
| Numer działki | 600 |
|---|---|
| ID działki | 061606_2.0010.600 widok w portalu e-mapa |
| Obręb | UŁĘŻ |
| Położenie | województwo lubelskie, powiat rycki, gmina Ułęż |
| Powierzchnia geometryczna i obwód | 2034 m2 (0.2034 ha), 184 m |
| Współrzędne i wysokość środka | X: 418503, Y: 715697, H: 131 m (PL-1992; PL-EVRF2007-NH) |
![]() | |
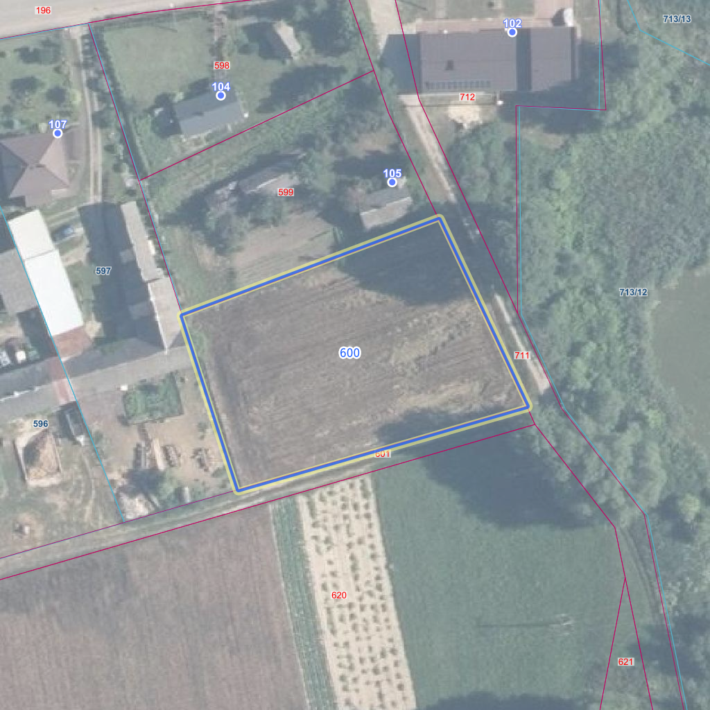
| Najbliższe otoczenie działki | |
|---|---|
![]() |
|
| Wykaz działek sąsiednich - pokaż wszystkie działki w portalu e-mapa | |
| Lp. | Działki sąsiednie | E-mapa | Raport |
|---|---|---|---|
| 1 | 061606_2.0010.599 | pokaż działkę | zamów raport |
| 2 | 061606_2.0010.601 | pokaż działkę | zamów raport |
| 3 | 061606_2.0010.711 | pokaż działkę | zamów raport |
| Kształt, wymiary działki i współrzędne punktów granicznych | |
|---|---|
![]() |
|
| Współrzędne punktów geograficzne oraz XY w układzie PL-1992 (EPSG:2180) | |
| Lp. | Długość | Szerokość | X (PL-1992) | Y (PL-1992) | Długość boku |
|---|---|---|---|---|---|
| 1 | 22.114525 | 51.591732 | 418 510.85 | 715 664.53 | |
| 2 | 22.115245 | 51.591878 | 418 529.28 | 715 713.65 | 52.50 |
| 3 | 22.115466 | 51.591551 | 418 493.58 | 715 730.49 | 39.50 |
| 4 | 22.114660 | 51.591429 | 418 477.64 | 715 675.28 | 57.50 |
| 5 | 22.114525 | 51.591732 | 418 510.85 | 715 664.53 | 34.90 |
| Zobacz wszystkie informacje | |||
|---|---|---|---|
| |||