![]() |
Raport o działce ewidencyjnej061106_2.0004.147(Informacje podstawowe - Pełny raport → dzialka.online) |
![]() |
|---|
| Numer działki | 147 |
|---|---|
| ID działki | 061106_2.0004.147 widok w portalu e-mapa |
| Obręb | CHARLEJÓW |
| Położenie | województwo lubelskie, powiat łukowski, gmina Serokomla |
| Powierzchnia geometryczna i obwód | 5425 m2 (0.5425 ha), 309 m |
| Współrzędne i wysokość środka | X: 426380, Y: 726041, H: 156 m (PL-1992; PL-EVRF2007-NH) |
![]() | |
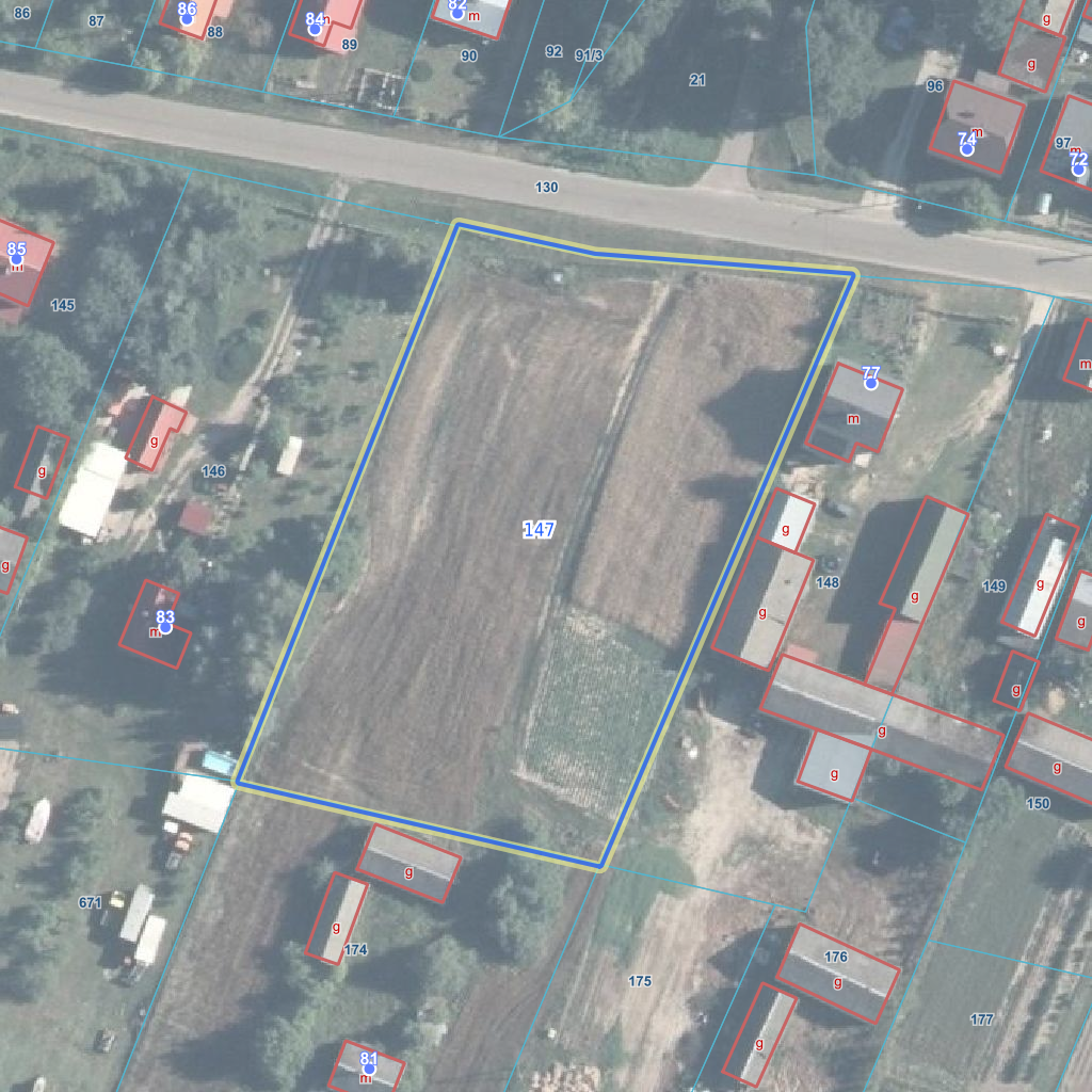
| Najbliższe otoczenie działki | |
|---|---|
![]() |
|
| Wykaz działek sąsiednich - pokaż wszystkie działki w portalu e-mapa | |
| Lp. | Działki sąsiednie | E-mapa | Raport |
|---|---|---|---|
| 1 | 061106_2.0004.130 | pokaż działkę | zamów raport |
| 2 | 061106_2.0004.146 | pokaż działkę | zamów raport |
| 3 | 061106_2.0004.148 | pokaż działkę | zamów raport |
| 4 | 061106_2.0004.174 | pokaż działkę | zamów raport |
| 5 | 061106_2.0004.175 | pokaż działkę | zamów raport |
| 6 | 061106_2.0004.671 | pokaż działkę | zamów raport |
| Kształt, wymiary działki i współrzędne punktów granicznych | |
|---|---|
![]() |
|
| Współrzędne punktów geograficzne oraz XY w układzie PL-1992 (EPSG:2180) | |
| Lp. | Długość | Szerokość | X (PL-1992) | Y (PL-1992) | Długość boku |
|---|---|---|---|---|---|
| 1 | 22.269298 | 51.657869 | 426 329.63 | 726 050.00 | |
| 2 | 22.269917 | 51.658668 | 426 420.38 | 726 088.80 | 98.70 |
| 3 | 22.269348 | 51.658712 | 426 423.44 | 726 049.22 | 39.70 |
| 4 | 22.269049 | 51.658761 | 426 427.96 | 726 028.32 | 21.40 |
| 5 | 22.268505 | 51.658006 | 426 342.42 | 725 994.48 | 92.00 |
| 6 | 22.269298 | 51.657869 | 426 329.63 | 726 050.00 | 57.00 |
| Zobacz wszystkie informacje | |||
|---|---|---|---|
| |||