![]() |
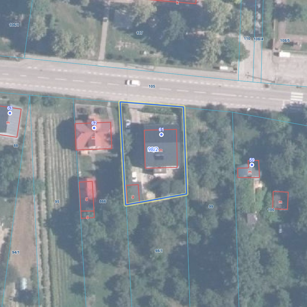
Raport o działce ewidencyjnej061103_2.0013.98/2(Informacje podstawowe - Pełny raport → dzialka.online) |
![]() |
|---|
| Numer działki | 98/2 |
|---|---|
| ID działki | 061103_2.0013.98/2 widok w portalu e-mapa |
| Obręb | WOLA GUŁOWSKA |
| Położenie | województwo lubelskie, powiat łukowski, gmina Adamów |
| Adres | Wola Gułowska 61 (21-481) |
| Powierzchnia geometryczna i obwód | 665 m2 (0.0665 ha), 106 m |
| Powierzchnia zabudowy | 164 m2 (24.7%) |
| Współrzędne i wysokość środka | X: 430871, Y: 721524, H: 166 m (PL-1992; PL-EVRF2007-NH) |
![]() | |
| Najbliższe otoczenie działki | |
|---|---|
![]() |
|
| Wykaz działek sąsiednich - pokaż wszystkie działki w portalu e-mapa | |
| Lp. | Działki sąsiednie | E-mapa | Raport |
|---|---|---|---|
| 1 | 061103_2.0013.105 | pokaż działkę | zamów raport |
| 2 | 061103_2.0013.866 | pokaż działkę | zamów raport |
| 3 | 061103_2.0013.98/1 | pokaż działkę | zamów raport |
| 4 | 061103_2.0013.99 | pokaż działkę | zamów raport |
| Kształt, wymiary działki i współrzędne punktów granicznych | |
|---|---|
![]() |
|
| Współrzędne punktów geograficzne oraz XY w układzie PL-1992 (EPSG:2180) | |
| Lp. | Długość | Szerokość | X (PL-1992) | Y (PL-1992) | Długość boku |
|---|---|---|---|---|---|
| 1 | 22.206982 | 51.700323 | 430 856.93 | 721 534.84 | |
| 2 | 22.206985 | 51.700586 | 430 886.21 | 721 533.80 | 29.30 |
| 3 | 22.206680 | 51.700610 | 430 887.92 | 721 512.62 | 21.20 |
| 4 | 22.206685 | 51.700298 | 430 853.27 | 721 514.47 | 34.70 |
| 5 | 22.206982 | 51.700323 | 430 856.93 | 721 534.84 | 20.70 |
| Zobacz wszystkie informacje | |||
|---|---|---|---|
| |||