![]() |
Raport o działce ewidencyjnej060914_2.0019.380/5(Informacje podstawowe - Pełny raport → dzialka.online) |
![]() |
|---|
| Numer działki | 380/5 |
|---|---|
| ID działki | 060914_2.0019.380/5 widok w portalu e-mapa |
| Obręb | TURKA |
| Położenie | województwo lubelskie, powiat lubelski, gmina Wólka |
| Powierzchnia geometryczna i obwód | 47 m2 (0.0047 ha), 34 m |
| Współrzędne i wysokość środka | X: 386406, Y: 756204, H: 184 m (PL-1992; PL-EVRF2007-NH) |
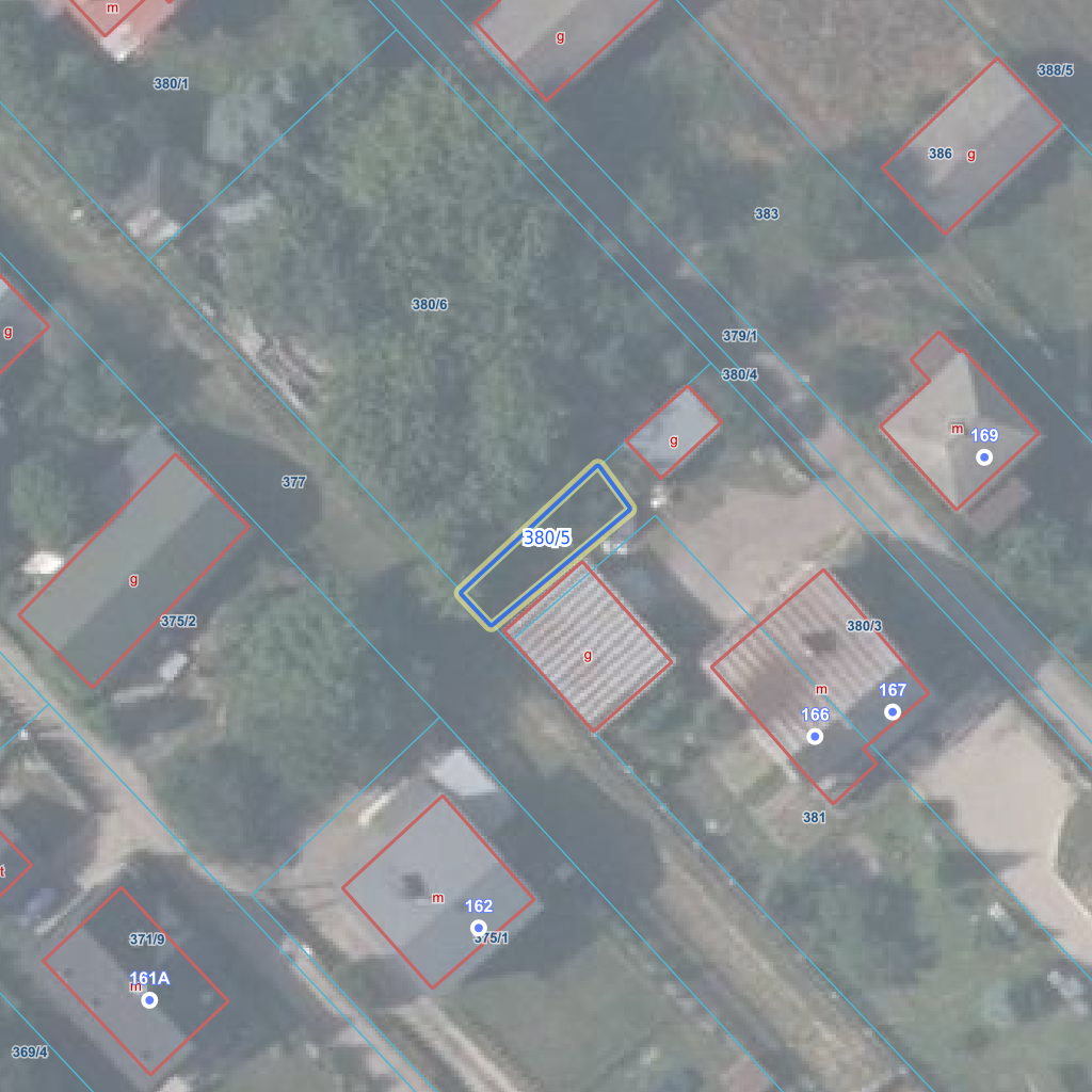
![]() | |
| Najbliższe otoczenie działki | |
|---|---|
![]() |
|
| Wykaz działek sąsiednich - pokaż wszystkie działki w portalu e-mapa | |
| Lp. | Działki sąsiednie | E-mapa | Raport |
|---|---|---|---|
| 1 | 060914_2.0019.377 | pokaż działkę | zamów raport |
| 2 | 060914_2.0019.380/3 | pokaż działkę | zamów raport |
| 3 | 060914_2.0019.380/6 | pokaż działkę | zamów raport |
| Kształt, wymiary działki i współrzędne punktów granicznych | |
|---|---|
![]() |
|
| Współrzędne punktów geograficzne oraz XY w układzie PL-1992 (EPSG:2180) | |
| Lp. | Długość | Szerokość | X (PL-1992) | Y (PL-1992) | Długość boku |
|---|---|---|---|---|---|
| 1 | 22.675627 | 51.286611 | 386 409.15 | 756 209.86 | |
| 2 | 22.675596 | 51.286640 | 386 412.23 | 756 207.60 | 3.80 |
| 3 | 22.675444 | 51.286559 | 386 402.78 | 756 197.42 | 13.90 |
| 4 | 22.675473 | 51.286538 | 386 400.52 | 756 199.55 | 3.10 |
| 5 | 22.675627 | 51.286611 | 386 409.15 | 756 209.86 | 13.50 |
| Zobacz wszystkie informacje | |||
|---|---|---|---|
| |||