![]() |
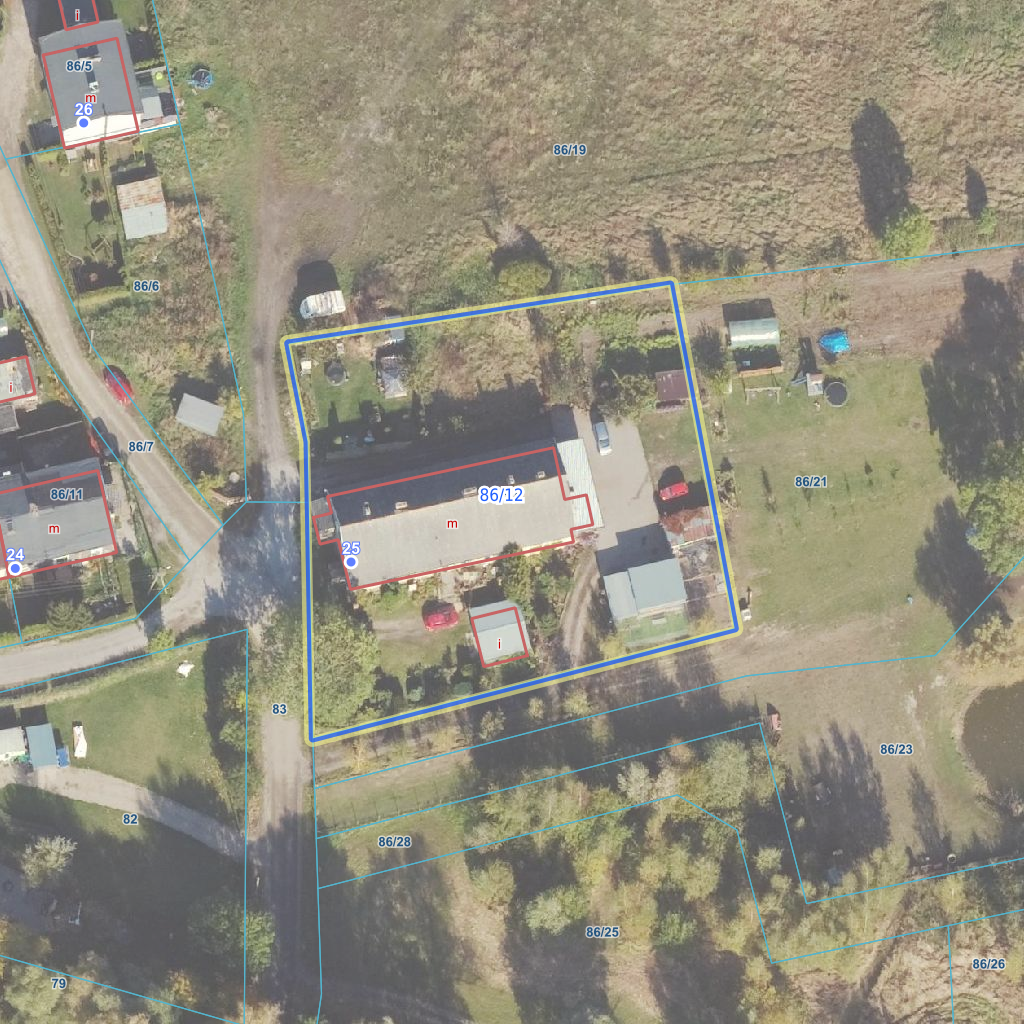
Raport o działce ewidencyjnej040307_2.0011.86/12(Informacje podstawowe - Pełny raport → dzialka.online) |
![]() |
|---|
| Numer działki | 86/12 |
|---|---|
| ID działki | 040307_2.0011.86/12 widok w portalu e-mapa |
| Obręb | Samsieczno |
| Położenie | województwo kujawsko-pomorskie, powiat bydgoski, gmina Sicienko |
| Adres | Samsieczno 25 (86-014) |
| Powierzchnia geometryczna i obwód | 2255 m2 (0.2255 ha), 193 m |
| Powierzchnia zabudowy | 384 m2 (17%) |
| Współrzędne i wysokość środka | X: 595991, Y: 413992, H: 115 m (PL-1992; PL-EVRF2007-NH) |
| Grupa rejestrowa (własność) | 7 - osoby fizyczne |
![]() | |
| Najbliższe otoczenie działki | |
|---|---|
![]() |
|
| Wykaz działek sąsiednich - pokaż wszystkie działki w portalu e-mapa | |
| Lp. | Działki sąsiednie | E-mapa | Raport |
|---|---|---|---|
| 1 | 040307_2.0011.83 | pokaż działkę | zamów raport |
| 2 | 040307_2.0011.86/19 | pokaż działkę | zamów raport |
| 3 | 040307_2.0011.86/21 | pokaż działkę | zamów raport |
| Kształt, wymiary działki i współrzędne punktów granicznych | |
|---|---|
![]() |
|
| Współrzędne punktów geograficzne oraz XY w układzie PL-1992 (EPSG:2180) | |
| Lp. | Długość | Szerokość | X (PL-1992) | Y (PL-1992) | Długość boku |
|---|---|---|---|---|---|
| 1 | 17.710977 | 53.222343 | 596 010.23 | 413 966.13 | |
| 2 | 17.711016 | 53.222235 | 595 998.17 | 413 968.50 | 12.30 |
| 3 | 17.711020 | 53.222168 | 595 990.72 | 413 968.64 | 7.50 |
| 4 | 17.711035 | 53.221908 | 595 961.76 | 413 969.15 | 29.00 |
| 5 | 17.711808 | 53.222038 | 595 975.25 | 414 020.95 | 53.50 |
| 6 | 17.711677 | 53.222416 | 596 017.47 | 414 013.02 | 43.00 |
| 7 | 17.710977 | 53.222343 | 596 010.23 | 413 966.13 | 47.40 |
| Zobacz wszystkie informacje | |||
|---|---|---|---|
| |||