![]() |
Raport o działce ewidencyjnej040205_5.0004.431/1(Informacje podstawowe - Pełny raport → dzialka.online) |
![]() |
|---|
| Numer działki | 431/1 |
|---|---|
| ID działki | 040205_5.0004.431/1 widok w portalu e-mapa |
| Obręb | GÓRZNO WYBUDOWANIE |
| Położenie | województwo kujawsko-pomorskie, powiat brodnicki, gmina Górzno |
| Adres | Górzno-Wybudowanie 19A (87-320) |
| Powierzchnia geometryczna i obwód | 2205 m2 (0.2205 ha), 201 m |
| Powierzchnia zabudowy | 98 m2 (4.4%) |
| Współrzędne i wysokość środka | X: 593906, Y: 541811, H: 133 m (PL-1992; PL-EVRF2007-NH) |
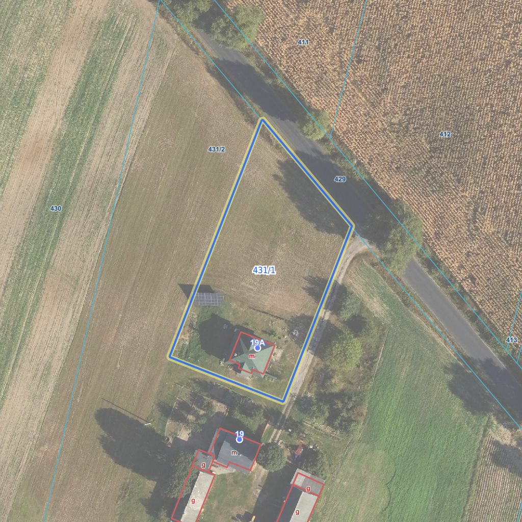
![]() | |
| Najbliższe otoczenie działki | |
|---|---|
![]() |
|
| Wykaz działek sąsiednich - pokaż wszystkie działki w portalu e-mapa | |
| Lp. | Działki sąsiednie | E-mapa | Raport |
|---|---|---|---|
| 1 | 040205_5.0004.429 | pokaż działkę | zamów raport |
| 2 | 040205_5.0004.431/2 | pokaż działkę | zamów raport |
| Kształt, wymiary działki i współrzędne punktów granicznych | |
|---|---|
![]() |
|
| Współrzędne punktów geograficzne oraz XY w układzie PL-1992 (EPSG:2180) | |
| Lp. | Długość | Szerokość | X (PL-1992) | Y (PL-1992) | Długość boku |
|---|---|---|---|---|---|
| 1 | 19.626313 | 53.208420 | 593 869.60 | 541 816.64 | |
| 2 | 19.626614 | 53.208870 | 593 919.89 | 541 836.29 | 54.00 |
| 3 | 19.626237 | 53.209145 | 593 950.23 | 541 810.81 | 39.60 |
| 4 | 19.625831 | 53.208537 | 593 882.30 | 541 784.32 | 72.90 |
| 5 | 19.626313 | 53.208420 | 593 869.60 | 541 816.64 | 34.70 |
| Zobacz wszystkie informacje | |||
|---|---|---|---|
| |||