![]() |
Raport o działce ewidencyjnej022507_2.0010.56/3(Informacje podstawowe - Pełny raport → dzialka.online) |
![]() |
|---|
| Numer działki | 56/3 |
|---|---|
| ID działki | 022507_2.0010.56/3 widok w portalu e-mapa |
| Obręb | ŁAGÓW |
| Położenie | województwo dolnośląskie, powiat zgorzelecki, gmina Zgorzelec |
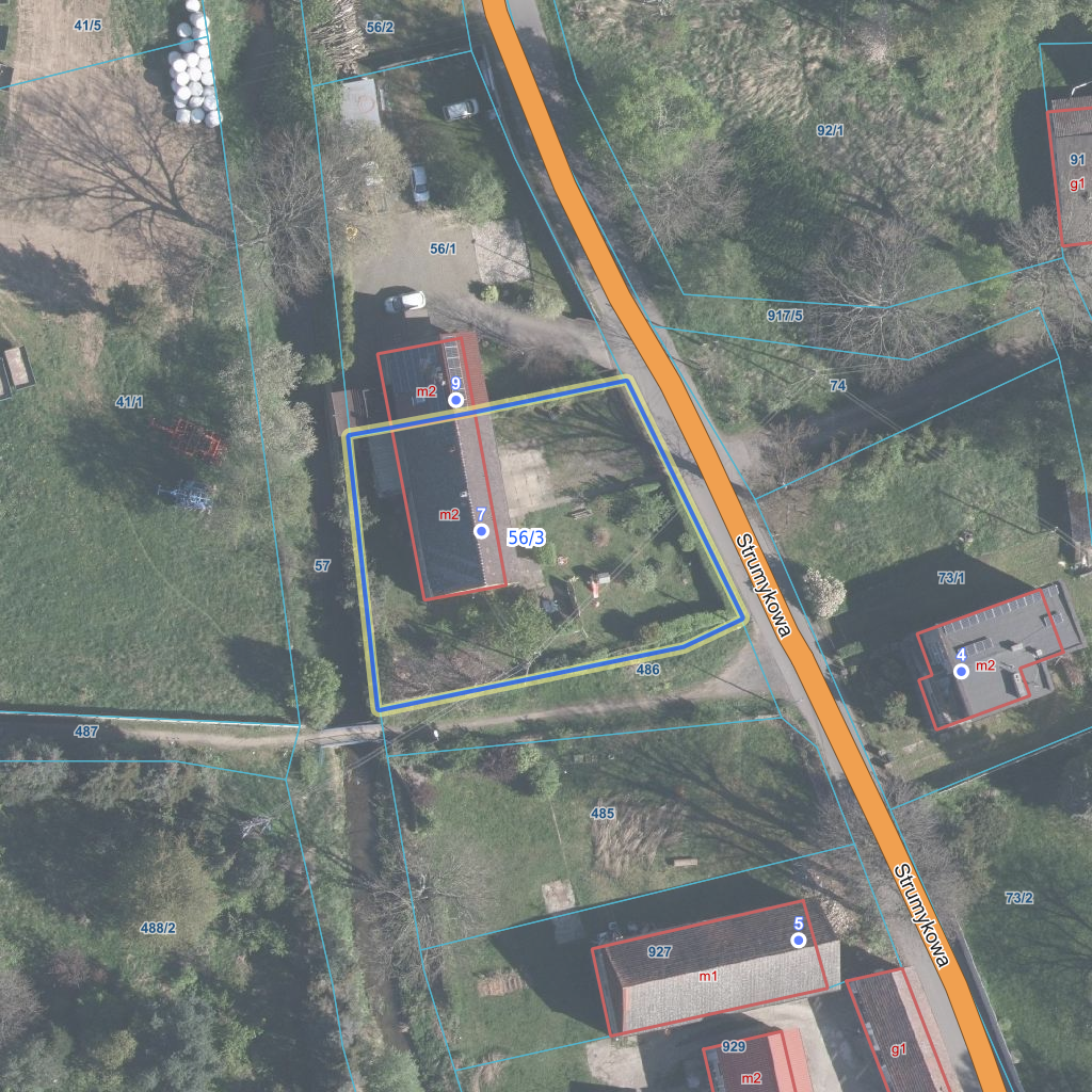
| Adres | ul. Strumykowa 7, Łagów (59-900) |
| Pole ewidencyjne | 0.0874 ha |
| Powierzchnia geometryczna i obwód | 874 m2 (0.0874 ha), 119 m |
| Powierzchnia zabudowy | 143 m2 (16.4%) |
| Współrzędne i wysokość środka | X: 373325, Y: 223460, H: 193 m (PL-1992; PL-EVRF2007-NH) |
| Grupa rejestrowa (własność) | 7 - osoby fizyczne |
| Klasoużytki | Br/PsIV - rolne zabudowane |
![]() | |
| Najbliższe otoczenie działki | |
|---|---|
![]() |
|
| Wykaz działek sąsiednich - pokaż wszystkie działki w portalu e-mapa | |
| Lp. | Działki sąsiednie | E-mapa | Raport |
|---|---|---|---|
| 1 | 022507_2.0010.486 | pokaż działkę | zamów raport |
| 2 | 022507_2.0010.56/1 | pokaż działkę | zamów raport |
| 3 | 022507_2.0010.57 | pokaż działkę | zamów raport |
| 4 | 022507_2.0010.71 | pokaż działkę | zamów raport |
| Kształt, wymiary działki i współrzędne punktów granicznych | |
|---|---|
![]() |
|
| Współrzędne punktów geograficzne oraz XY w układzie PL-1992 (EPSG:2180) | |
| Lp. | Długość | Szerokość | X (PL-1992) | Y (PL-1992) | Długość boku |
|---|---|---|---|---|---|
| 1 | 15.043276 | 51.159783 | 373 335.84 | 223 442.81 | |
| 2 | 15.043338 | 51.159542 | 373 308.80 | 223 445.74 | 27.20 |
| 3 | 15.043766 | 51.159613 | 373 315.11 | 223 476.03 | 30.90 |
| 4 | 15.043845 | 51.159640 | 373 317.83 | 223 481.77 | 6.40 |
| 5 | 15.043664 | 51.159845 | 373 341.25 | 223 470.33 | 26.10 |
| 6 | 15.043452 | 51.159810 | 373 338.13 | 223 455.27 | 15.40 |
| 7 | 15.043334 | 51.159792 | 373 336.57 | 223 446.97 | 8.40 |
| 8 | 15.043276 | 51.159783 | 373 335.84 | 223 442.81 | 4.20 |
| Zobacz wszystkie informacje | |||
|---|---|---|---|
| |||