![]() |
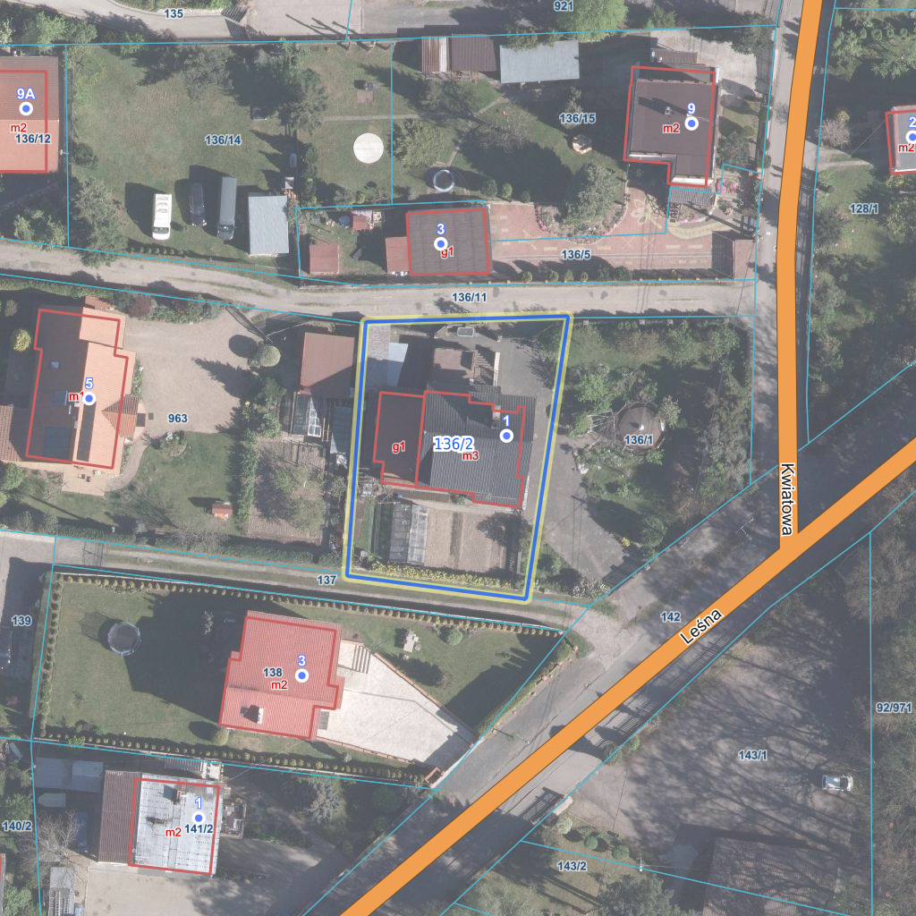
Raport o działce ewidencyjnej022507_2.0010.136/2(Informacje podstawowe - Pełny raport → dzialka.online) |
![]() |
|---|
| Numer działki | 136/2 |
|---|---|
| ID działki | 022507_2.0010.136/2 widok w portalu e-mapa |
| Obręb | ŁAGÓW |
| Położenie | województwo dolnośląskie, powiat zgorzelecki, gmina Zgorzelec |
| Adres | ul. Kwiatowa 1, Łagów (59-900) |
| Pole ewidencyjne | 0.06 ha |
| Powierzchnia geometryczna i obwód | 603 m2 (0.0603 ha), 100 m |
| Powierzchnia zabudowy | 117 m2 (19.4%) |
| Współrzędne i wysokość środka | X: 373277, Y: 224109, H: 200 m (PL-1992; PL-EVRF2007-NH) |
| Grupa rejestrowa (własność) | 7 - osoby fizyczne |
| Klasoużytki | Br/RVI - rolne zabudowane |
![]() | |
| Najbliższe otoczenie działki | |
|---|---|
![]() |
|
| Wykaz działek sąsiednich - pokaż wszystkie działki w portalu e-mapa | |
| Lp. | Działki sąsiednie | E-mapa | Raport |
|---|---|---|---|
| 1 | 022507_2.0010.136/1 | pokaż działkę | zamów raport |
| 2 | 022507_2.0010.136/11 | pokaż działkę | zamów raport |
| 3 | 022507_2.0010.137 | pokaż działkę | zamów raport |
| 4 | 022507_2.0010.963 | pokaż działkę | zamów raport |
| Kształt, wymiary działki i współrzędne punktów granicznych | |
|---|---|
![]() |
|
| Współrzędne punktów geograficzne oraz XY w układzie PL-1992 (EPSG:2180) | |
| Lp. | Długość | Szerokość | X (PL-1992) | Y (PL-1992) | Długość boku |
|---|---|---|---|---|---|
| 1 | 15.052945 | 51.159438 | 373 261.12 | 224 116.37 | |
| 2 | 15.052987 | 51.159715 | 373 291.81 | 224 120.94 | 31.00 |
| 3 | 15.052675 | 51.159699 | 373 291.18 | 224 099.08 | 21.90 |
| 4 | 15.052667 | 51.159451 | 373 263.62 | 224 097.05 | 27.60 |
| 5 | 15.052945 | 51.159438 | 373 261.12 | 224 116.37 | 19.50 |
| Zobacz wszystkie informacje | |||
|---|---|---|---|
| |||