![]() |
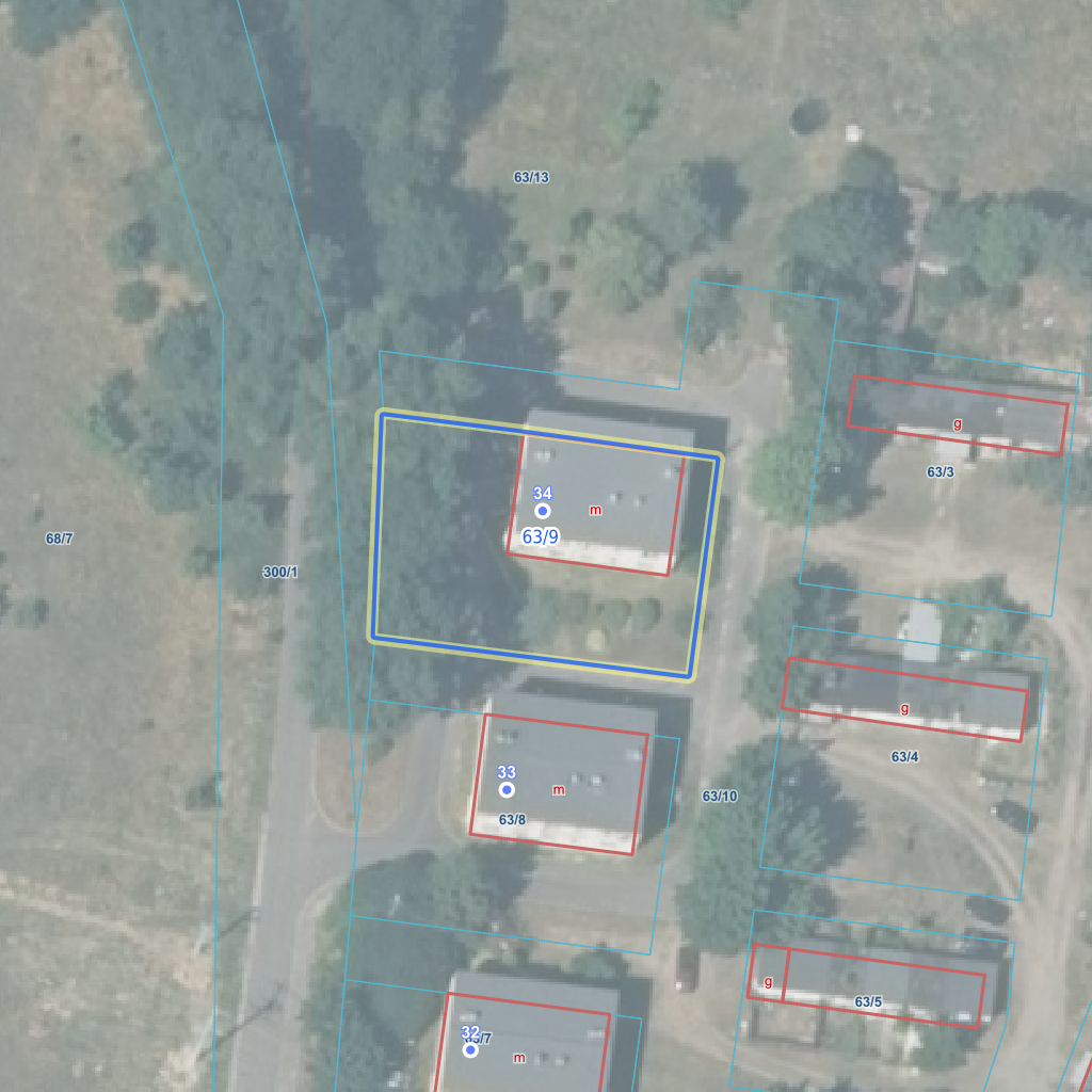
Raport o działce ewidencyjnej021103_2.0002.63/9(Informacje podstawowe - Pełny raport → dzialka.online) |
![]() |
|---|
| Numer działki | 63/9 |
|---|---|
| ID działki | 021103_2.0002.63/9 widok w portalu e-mapa |
| Obręb | Brodów |
| Położenie | województwo dolnośląskie, powiat lubiński, gmina Rudna |
| Adres | Brodów 34 (59-305) |
| Powierzchnia geometryczna i obwód | 616 m2 (0.0616 ha), 101 m |
| Powierzchnia zabudowy | 171 m2 (27.8%) |
| Współrzędne i wysokość środka | X: 408625, Y: 311464, H: 117 m (PL-1992; PL-EVRF2007-NH) |
| Grupa rejestrowa (własność) | 7 - osoby fizyczne |
![]() | |
| Najbliższe otoczenie działki | |
|---|---|
![]() |
|
| Wykaz działek sąsiednich - pokaż wszystkie działki w portalu e-mapa | |
| Lp. | Działki sąsiednie | E-mapa | Raport |
|---|---|---|---|
| 1 | 021103_2.0002.63/10 | pokaż działkę | zamów raport |
| 2 | 021103_2.0002.63/13 | pokaż działkę | zamów raport |
| Kształt, wymiary działki i współrzędne punktów granicznych | |
|---|---|
![]() |
|
| Współrzędne punktów geograficzne oraz XY w układzie PL-1992 (EPSG:2180) | |
| Lp. | Długość | Szerokość | X (PL-1992) | Y (PL-1992) | Długość boku |
|---|---|---|---|---|---|
| 1 | 16.282281 | 51.512733 | 408 633.35 | 311 480.72 | |
| 2 | 16.282238 | 51.512736 | 408 633.75 | 311 477.76 | 3.00 |
| 3 | 16.282021 | 51.512749 | 408 635.78 | 311 462.78 | 15.10 |
| 4 | 16.281833 | 51.512759 | 408 637.40 | 311 449.75 | 13.10 |
| 5 | 16.281832 | 51.512575 | 408 616.95 | 311 448.94 | 20.50 |
| 6 | 16.282254 | 51.512552 | 408 613.31 | 311 478.09 | 29.40 |
| 7 | 16.282281 | 51.512733 | 408 633.35 | 311 480.72 | 20.20 |
| Zobacz wszystkie informacje | |||
|---|---|---|---|
| |||